Exhibit 10.1
LEASE AGREEMENT
| Landlord: | WCS - 377 Plantation Street, Inc. |
| Tenant: | Mustang Bio, Inc. |
| Building: | 377 Plantation Street, Worcester, Massachusetts |
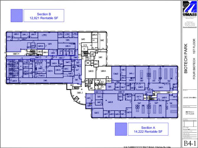
| Premises: | 27,043 Rentable Square Feet on the First Floor of the Building |
TABLE OF CONTENTS
| 1. | Lease of Premises | 7 |
| 2. | Delivery; Acceptance of Premises; Commencement Date; Extension Option | 7 |
| 3. | Rent | 10 |
| 4. | Intentionally Omitted | 10 |
| 5. | Operating Expense Payments | 11 |
| 6. | Security Deposit | 14 |
| 7. | Use | 15 |
| 8. | Holding Over | 18 |
| 9. | Taxes | 19 |
| 10. | Parking | 19 |
| 11. | Utilities, Services | 20 |
| 12. | Alterations and Tenant’s Property; Tenant’s Work | 21 |
| 13. | Landlord's Repairs | 23 |
| 14. | Tenant's Repairs | 24 |
| 15. | Mechanic's Liens | 24 |
| 16. | Indemnification | 25 |
| 17. | Insurance | 25 |
| 18. | Restoration | 27 |
| 19. | Condemnation | 28 |
| 20. | Events of Default | 28 |
| 21. | Landlord's Remedies | 29 |
| 22. | Assignment and Subletting | 32 |
| 23. | Estoppel Certificate | 35 |
| 24. | Quiet Enjoyment | 35 |
| 2 |
| 25. | Prorations | 35 |
| 26. | Rules and Regulations | 35 |
| 27. | Subordination | 36 |
| 28. | Surrender | 36 |
| 29. | Waiver of Jury Trial | 37 |
| 30. | Environmental Requirements | 38 |
| 31. | Tenant's Remedies/Limitation of Liability | 41 |
| 32. | Inspection and Access | 42 |
| 33. | Security | 42 |
| 34. | Force Majeure | 43 |
| 35. | Brokers | 43 |
| 36. | Limitation on Landlord's Liability | 43 |
| 37. | Severability | 44 |
| 38. | Signs; Exterior Appearance | 44 |
| 39. | Intentionally Omitted | 44 |
| 40. | Miscellaneous | 44 |
| 1.0 | Introduction | F-3 |
| 2.0 | Equipment | F-5 |
| 1. | Landlord’s Work | H-1 |
| 2. | Tenant’s Work | H-1 |
| 3. | Cost of Tenant’s Work | H-2 |
| 4. | Access By Tenant; Work in Harmony | H-3 |
| 5. | Construction Requirements | H-4 |
| 6. | Miscellaneous | H-5 |
| 3 |
LEASE AGREEMENT
THIS LEASE AGREEMENT (this "Lease") is made as of the ____ day of October, 2017 between WCS - 377 Plantation Street, Inc., a Massachusetts nonprofit corporation ("Landlord"), and Mustang Bio, Inc., a Delaware corporation ("Tenant").
| Address: |
377 Plantation Street, Worcester, Massachusetts
|
| Premises: |
That portion of the Property located on the first floor, as shown on Exhibit A, containing approximately 27,043 rentable square feet, as determined by Landlord.
|
| Property: |
The real property including the building (the "Building") in which the Premises are located, together with all improvements thereon and appurtenances thereto as described on Exhibit B. |
| Base Rent | Lease Year: | Annual Base Rent: | Payable in following Monthly Installments: | |||||||
| 1 | $ | 419,166.50 | $ | 34,930.54 | ||||||
| 2 | $ | 432,688.00 | $ | 36,057.33 | ||||||
| 3 | $ | 446,209.50 | $ | 37,184.13 | ||||||
| 4 | $ | 459,731.00 | $ | 38,310.92 | ||||||
| 5 | $ | 473,252.50 | $ | 39,437.71 | ||||||
| 6 | $ | 486,774.00 | $ | 40,564.50 | ||||||
| 7 | $ | 500,295.50 | $ | 41,691.29 | ||||||
| 8 | $ | 513,817.00 | $ | 42,818.08 | ||||||
| 9 | $ | 527,338.50 | $ | 43,944.88 | ||||||
|
Provided there is no Default under the Lease during the Base Term, (i) during the first Lease Year, Base Rent shall be fully abated and (ii) during the second Lease Year, 47.41% of Base Rent shall be abated.
| |
| Rentable Area of Premises |
27,043 sq. ft. consisting of two parcels: 14,222 square feet (“Section A”) and 12,821 square feet (“Section B”) as shown on Exhibit A.
|
| Rentable Area of Property: | 91,147 sq. ft. |
| 4 |
| Tenant's Share of Operating Expenses: |
The Rentable Area of Premises from time to time divided by the Rentable Area of Property from time to time, initially being 29.67%, provided, however that Tenant shall not be responsible for Tenant’s Share of Operating Expenses until the first day of the seventh month of the first Lease Year, at which time Tenant’s Share of Operating Expenses shall be calculated solely including Section A of the Premises and thus will constitute 15.60% (14,222/91,147), until the Section B Occupancy Date at which time and thereafter Tenant’s Share of Operating Expenses shall constitute the Rentable Area of Premises from time to time divided by the Rentable Area of Property from time to time, currently being 29.67%.
|
| Security Deposit: |
$250,000.00 Cash Security Deposit and $500,000 Security Deposit in the form of a Letter of Credit, which shall be increased to a $1,000,000 Letter of Credit on or before the Section B Occupancy Date (“Letter of Credit Security Deposit”). The Letter of Credit shall be subject to reduction as set forth in Section 6.
|
| Base Term: |
The Base Term shall be for nine (9) years (plus any initial partial period should the Commencement Date occur other than on the first day of a month), such term beginning on the Commencement Date and ending at the end of the day prior to the ninth anniversary of the Commencement Date, provided that if the Commencement Date does not occur on the first day of the month, the Base Term shall expire on the last day of the month in which the ninth anniversary of the Commencement Date occurs.
|
|
Lease Year:
|
The first Lease Year shall be the period commencing on the Commencement Date and ending on the day prior to the first anniversary of the Commencement Date, provided that if the Commencement Date does not occur on the first day of the month, the first Lease Year shall expire on the last day of the month in which the first anniversary of the Commencement Date occurs and each Lease Year thereafter shall commence on the day following the expiration of the previous Lease Year and expire on the anniversary of the expiration of the previous Lease Year.
|
|
Section B Occupancy Date:
|
The earlier of (i) the date on which the Tenant commences use of any portion of Section B for the Permitted Use hereunder (as opposed to use of Section B for construction, setting up furniture, fixtures and equipment, conducting inspections and testing, and similar activities needed to prepare for occupancy) and (ii) the first day of the third Lease Year. |
| 5 |
| Permitted Use: |
Scientific research and development laboratory, related office and other related uses consistent with the character of the Property and otherwise in compliance with the provisions of Section 7 hereof.
|
|
Address for Rent Payment:
Landlord's Notice Address:
|
WCS – 377 Plantation Street, Inc. c/o University of Massachusetts Medical School 55 Lake Avenue North Worcester, MA 01655 Attn: Bursar’s Office
WCS – 377 Plantation Street, Inc. c/o University of Massachusetts Medical School 55 Lake Avenue North Worcester, MA 01655 Attn: Director of Property Services
With a copy to:
Paul C. Bauer, Esq. Bowditch & Dewey, LLP 200 Crossing Boulevard, Suite 500 Framingham, Massachusetts 01702
|
|
Tenant's Notice Address:
|
Mustang Bio, Inc. Attn: Manuel Litchman, CEO
With a copy to: the Premises Attn: Knut Niss, VP, Program Management
With a copy to: Wyrick Robbins Yates & Ponton LLP 4101 Lake Boone Trail, Suite 300 Raleigh, NC 27607 Attn: Anna P. McLamb, Esq. |
The following Exhibits and Addenda are attached hereto and incorporated herein by this reference:
| 6 |
EXHIBIT A - PREMISES DESCRIPTION
EXHIBIT B - DESCRIPTION OF PROPERTY
EXHIBIT C - COMMENCEMENT DATE
EXHIBIT D - RULES AND REGULATIONS
EXHIBIT E- TENANT’S PERSONAL PROPERTY
EXHIBIT F - FORM OF SURRENDER PLAN
EXHIBIT G – RESERVED PARKING
EXHIBIT H – WORK LETTER
EXHIBIT I – HAZARDOUS MATERIALS LIST
1. Lease of Premises. Upon and subject to all of the terms and conditions hereof, Landlord hereby leases the Premises to Tenant and Tenant hereby leases the Premises from Landlord. The portions of the Property which are for the non-exclusive use of tenants of the Property are collectively referred to herein as the "Common Areas." Landlord reserves the right to modify Common Areas, provided that such modifications do not materially adversely affect Tenant's use of the Premises for the Permitted Use, Tenant’s access to the Premises, or Tenant’s usage of reserved parking.
2. Delivery; Acceptance of Premises; Commencement Date; Extension Option.
(a) Premises Delivery. Landlord shall deliver ("Delivery" or "Deliver") the Premises to Tenant on or about November 1, 2017. The "Commencement Date" shall be the date Landlord Delivers the Premises to Tenant. The "Rent Commencement Date" shall be the Commencement Date, subject to the rent abatement set forth in the definition of Base Rent set forth above. Upon request of Landlord, Tenant shall execute and deliver a written acknowledgment of the Commencement Date, the Rent Commencement Date, the expiration date of the Term and the Section B Occupancy Date when such are established, in the form of the "Acknowledgement of Commencement Date" attached to this Lease as Exhibit C; provided, however, Tenant's failure to execute and deliver such acknowledgment shall not affect Landlord's rights hereunder. The "Term" of this Lease shall be the Base Term, as defined above on the first page of this Lease, together with any Extension Term that comes into effect in accordance with this Lease.
(b) As Is Condition. Except as set forth in this Lease: (i) Tenant shall accept the Premises in their "as-is" condition as of the Commencement Date, subject to all applicable Legal Requirements (as defined in Section 7 hereof); (ii) Landlord shall have no obligation for any defects in the Premises; and (iii) Tenant's taking possession of the Premises shall be conclusive evidence that Tenant accepts the Premises and that the Premises were in good condition at the time possession was taken. Any occupancy of the Premises by Tenant before the Commencement Date shall be subject to all of the terms and conditions of this Lease, excluding the obligation to pay Base Rent and Operating Expenses. Tenant shall undertake Tenant’s Work to prepare the Premises for occupancy pursuant to and in accordance with Section 12 and Exhibit H.
| 7 |
(c) Complete Agreement. Tenant agrees and acknowledges that neither Landlord nor any agent of Landlord has made any representation or warranty with respect to the condition of all or any portion of the Premises or the Property, and/or the suitability of the Premises or the Property for the conduct of Tenant's business, and Tenant waives any implied warranty that the Premises or the Property are suitable for the Permitted Use. This Lease constitutes the complete agreement of Landlord and Tenant with respect to the subject matter hereof and supersedes any and all prior representations, inducements, promises, agreements, understandings and negotiations which are not contained herein. Landlord in executing this Lease does so in reliance upon Tenant's representations, warranties, acknowledgments and agreements contained herein.
(d) Extension Option. Provided Tenant is not in Default under this Lease at the time of notice or commencement of the Extension Term, has not Defaulted more than three times during the Term or first Extension Term, as the case may be, and occupies at least 75% of the Premises, Tenant shall have the option to extend the Lease (each, an “Extension Option”) beyond the expiration of the Term for two (2) additional periods (each an “Extension Term”) consisting of five (5) years each by providing written notice to Landlord not earlier than 15 months nor later than 12 months prior to the expiration of the Term or the first Extension Term, as the case may be; provided, however, Tenant shall have no further right to extend the Lease. In the event Tenant does not exercise an option to extend it shall have no further extension options. Any extension of the Lease for an Extension Term shall be upon the same terms and conditions set forth in the Lease, except that commencing on the first day of the first Extension Term, Base Rent shall be payable at the at the Market Rate (as defined below). Base Rent shall thereafter be adjusted on the annual anniversary of the commencement of such Extension Term by a percentage as determined by Landlord and agreed to by Tenant at the time the Market Rate is determined (the “Escalation Rate”). As used herein, "Market Rate" shall mean the higher of (i) 95% of the then market rental rate in Worcester, Massachusetts, taking into account all relevant factors including comparable building age, condition, type of use, level of finish and proximity to amenities, as well as length of lease term and any concessions, allowances or other incentives provided to tenants in comparable space as determined by Landlord and agreed to by Tenant or (ii) the Base Rent in effect in the last year of the Term (or first Extension Term with respect to Base Rent for the second Extension Term).
If Tenant, in a notice to Landlord sent no sooner than fifteen (15) months prior to the scheduled expiration of the Term, requests that Landlord confirm the Market Rate and Escalation Rate that would apply during the upcoming Extension Term, Landlord shall confirm Market Rate and Escalation Rate in a responsive notice to Tenant (the “Advance Market Confirmation”) within fifteen (15) business days. Any delay of Landlord beyond fifteen (15) business days in sending the Advance Market Confirmation to Tenant shall reduce the period prior to scheduled expiration of the Term in which Tenant has to exercise the Extension Option (e.g., if Landlord takes 7 days beyond the fifteen business days to deliver its Advance Market Confirmation to Tenant, then Tenant shall be able to give Landlord notice of exercise of the Extension Option until the day that is 7 days after the end of the twelfth month before the scheduled expiration of the Term).
If, on or before the date which is 270 days prior to the expiration of the Base Term of this Lease, Tenant has not agreed with Landlord's determination of the Market Rate and the rent escalations during the Extension Term, if Tenant does not by such date notify Landlord of Tenant’s rescission of its exercise of the Extension Option, then Tenant shall be deemed to have elected arbitration as described below. If Tenant timely provides such notice of rescission, the Extension Option shall be rescinded and of no further force or effect.
| 8 |
(i) Within 10 business days of Tenant's notice to Landlord of its election (or deemed election) to arbitrate the Market Rate and the Escalation Rate, each party shall deliver to the other a proposal containing the Market Rate and the Escalation Rate that the submitting party believes to be correct ("Extension Proposal"). If either party fails to timely submit an Extension Proposal, the other party's submitted proposal shall determine the Base Rent and escalations for the Extension Term. If both parties submit Extension Proposals, then Landlord and Tenant shall meet within 7 days after delivery of the last Extension Proposal and make a good faith attempt to mutually appoint a single Arbitrator (and defined below) to determine the Market Rate and escalations. If Landlord and Tenant are unable to agree upon a single Arbitrator, then each shall, by written notice delivered to the other within 10 business days after the meeting, select an Arbitrator. If either party fails to timely give notice of its selection for an Arbitrator, the other party's submitted Extension Proposal shall determine the Market Rate and the Escalation Rate for the Extension Term. The 2 Arbitrators so appointed shall, within 5 business days after their appointment, appoint a third Arbitrator. If the 2 Arbitrators so selected cannot agree on the selection of the third Arbitrator within the time above specified, then either party, on behalf of both parties, may request such appointment of such third Arbitrator by application to any state court of general jurisdiction in the jurisdiction in which the Premises are located, upon 10 business days’ prior written notice to the other party of such intent.
(ii) The decision of the Arbitrator(s) on the appropriate Extension Proposal shall be made within 30 days after the appointment of a single Arbitrator or the third Arbitrator, as applicable. If only one Arbitrator is appointed, the decision of the single Arbitrator shall be final and binding upon the parties. The average of the two closest Arbitrators in a three Arbitrator panel shall be final and binding upon the parties. Each party shall pay the fees and expenses of the Arbitrator appointed by or on behalf of such party and the fees and expenses of the third Arbitrator shall be borne equally by both parties. If the Market Rate and the Escalation Rate are not determined by the first day of the Extension Term, then Tenant shall pay Landlord Base Rent in an amount equal to the Base Rent in effect immediately prior to the Extension Term, increased by $0.50 per rentable square foot per annum, until such determination is made. After the determination of the Market Rate and the Escalation Rate, the parties shall make any necessary adjustments to such payments made by Tenant. Landlord and Tenant shall then execute an amendment recognizing the Market Rate and escalations for the Extension Term.
(iii) An "Arbitrator" shall be any person appointed by or on behalf of either party or appointed pursuant to the provisions hereof and: (i) shall be (A) a member of the American Institute of Real Estate Appraisers with not less than 10 years of experience in the appraisal of improved office and high tech industrial real estate in the greater Worcester metropolitan area, or (B) a licensed commercial real estate broker with not less than 15 years’ experience representing landlords and/or tenants in the leasing of high tech or life sciences space in the greater Worcester metropolitan area, (ii) devoting substantially all of their time to professional appraisal or brokerage work, as applicable, at the time of appointment and (iii) be in all respects impartial and disinterested.
| 9 |
The Extension Right is personal to Tenant and is not assignable without Landlord's consent, which may be granted or withheld in Landlord's sole discretion separate and apart from any consent by Landlord to an assignment of Tenant's interest in the Lease.
Notwithstanding anything set forth above to the contrary, the Extension Right shall not be in effect and Tenant may not exercise the Extension Right:
(i) during any period of time that Tenant is in Default under any provision of this Lease; or
(ii) if Tenant has been in Default under any provision of this Lease 3 or more times, whether or not the Defaults are cured, during the 12 month period immediately prior to the date that Tenant intends to exercise the Extension Right, whether or not the Defaults are cured.
The period of time within which the Extension Right may be exercised shall not be extended or enlarged by reason of Tenant's inability to exercise the Extension Right. The Extension Right shall terminate and be of no further force or effect even after Tenant's due and timely exercise of the Extension Right, if, after such exercise, but prior to the commencement date of the Extension Term, (i) Tenant fails to timely cure any Default by Tenant under this Lease; or (ii) Tenant has Defaulted 3 or more times during the period from the date of the exercise of the Extension Right to the date of the commencement of the Extension Term, whether or not such Defaults are cured.
3. Rent.
(a) Base Rent. The Security Deposit shall be due and payable on delivery of an executed copy of this Lease to Landlord. Tenant shall pay to Landlord in advance, without demand, abatement, deduction or set-off, equal monthly installments of Base Rent on or before the first day of each calendar month during the Term hereof after the Rent Commencement Date, in lawful money of the United States of America , at the office of Landlord for payment of Rent set forth above, or to such other person or at such other place as Landlord may from time to time designate in writing.; provided, however, that the installment of Rent that is payable on the Rent Commencement Date shall not be overdue if paid by Tenant within five (5) business days of the Rent Commencement Date. Payments of Base Rent for any fractional calendar month shall be prorated. The obligation of Tenant to pay Base Rent and other sums to Landlord and the obligations of Landlord under this Lease are independent obligations. Tenant shall have no right at any time to abate, reduce, or set-off any Rent (as defined in Section 5) due hereunder except for those abatement rights that are expressly provided in this Lease.
(b) Additional Rent. In addition to Base Rent, Tenant agrees to pay to Landlord as additional rent ("Additional Rent"): (i) Tenant's Share of "Operating Expenses" (as defined in Section 5), and (ii) any and all other amounts Tenant assumes or agrees to pay under the provisions of this Lease, including, without limitation, any and all other sums that may become due by reason of any default of Tenant or failure to comply with the agreements, terms, covenants and conditions of this Lease to be performed by Tenant, after any applicable notice and cure period.
4. Intentionally Omitted.
| 10 |
5. Operating Expense Payments. Landlord shall deliver to Tenant a written estimate of Operating Expenses for each calendar year during the Term (the "Annual Estimate"), which may be revised by Landlord from time to time during such calendar year. Commencing on the Rent Commencement Date and continuing thereafter on the first day of each month during the Term, Tenant shall pay Landlord an amount equal to 1/12th of Tenant's Share of the Annual Estimate. Payments for any fractional calendar month shall be prorated.
The term "Operating Expenses" means all costs and expenses of any kind or description whatsoever incurred or accrued each calendar year by Landlord with respect to the Property and the Generator (including, without duplication, Taxes (as defined in Section 9), reasonable reserves consistent with good business practice for future repairs and replacements, and the costs of Landlord's third party property manager (provided that Tenant’s Share of such property management costs shall not exceed 5.0% of Base Rent) or, if there is no third party property manager, administration rent in the amount of 5.0% of Base Rent), excluding only:
(a) the original construction costs of the Property and renovation prior to the date of the Lease, costs of correcting defects in such original construction or renovation and costs of any improvements made to the Property for purposes of compliance with Legal Requirements to the extent such Legal Requirements exist as of the date hereof or insurance requirements because of another tenant at the Property or such tenant’s use of the Property;
(b) interest and principal payments under any Mortgage (as defined in Section 27) or other debts of Landlord, financing costs and amortization of funds borrowed by Landlord, whether secured or unsecured, and any rent payable under any ground lease pertaining to the Property or under any leases of base building equipment for the Building such as HVAC or elevator;
(c) depreciation of the Property (except for those capital improvements, for which the costs are not excluded from Operating Expenses as provided below);
(d) advertising, legal and space planning expenses and leasing commissions and other costs and expenses incurred in procuring and leasing space to tenants for the Property, including any leasing office maintained in the Property, free rent, construction allowances and other concessions for such tenants;
(e) legal, accounting, administrative and other expenses incurred in the purchase, financing or refinancing of the Property or related to the operation of Landlord or its affiliates as entities to the extent not related to the operation and maintenance of the Property;
(f) completing, fixturing, improving, renovating, painting, redecorating or other work, which Landlord pays for or performs for other tenants within their premises, and costs of correcting defects in such work as well as the cost of furnishing services to any tenant materially in excess of Building standard services provided to tenants;
(g) costs to the extent reimbursed by other tenants of the Property or Taxes to be paid directly by Tenant or other tenants of the Property
| 11 |
(h) costs (including attorneys' fees and costs of settlement, judgments and payments in lieu thereof) incurred in connection with disputes with tenants, other occupants, or prospective tenants, and costs and expenses, including legal fees, incurred in connection with negotiations or disputes with employees, consultants, management agents, leasing agents, purchasers or mortgagees of the Building;
(i) costs incurred by Landlord (i) for the benefit of any particular tenant in the Building but not for the benefit of all tenants in the Building, or (ii) due to the violation by Landlord, its employees, agents or contractors or any tenant of the terms and conditions of any lease of space in the Property or any Legal Requirement (as defined in Section 7);
(j) penalties, fines or interest incurred as a result of Landlord's failure to make payment of Taxes and/or to file any tax or informational returns when due, or from Landlord's failure to make any payment of Taxes, or any other payment obligation of Landlord, required to be made by Landlord hereunder before delinquency;
(k) net income taxes of Landlord or the owner of any interest in the Property, franchise, capital stock, gift, estate or inheritance taxes or any federal, state or local documentary taxes imposed against the Property or any portion thereof or interest therein;
(l) any expenses otherwise includable within Operating Expenses to the extent actually reimbursed by persons other than tenants of the Property under leases for space in the Property, including, without limitation, reimbursements from insurance proceeds, condemnation awards, warranties and rebates; and
(m) costs for capital equipment and capital expenditures unless the same are (x) incurred to comply with laws or other governmental requirements that only become applicable to the Property after the Effective Date, (y) incurred to achieve savings or reductions in other Operating Expenses, or (z) incurred to make a replacement or capital repair with respect to any equipment or component with respect to which Landlord reasonably determines that repairs are no longer commercially reasonable.
Within 90 days after the end of each calendar year (or such longer period as may be reasonably required), Landlord shall furnish to Tenant a statement (an "Annual Statement") showing in reasonable detail: (a) the total and Tenant's Share of actual Operating Expenses for the previous calendar year, and (b) the total of Tenant's payments in respect of Operating Expenses for such year. If Tenant's Share of actual Operating Expenses for such year exceeds Tenant's payments of Operating Expenses for such year, the excess shall be due and payable by Tenant as Rent within 30 days after delivery of such Annual Statement to Tenant. If Tenant's payments of Operating Expenses for such year exceed Tenant's Share of actual Operating Expenses for such year Landlord shall pay the excess to Tenant within 30 days after delivery of such Annual Statement, except that after the expiration, or earlier termination of the Term or if Tenant is delinquent in its obligation to pay Rent, Landlord shall pay the excess to Tenant after deducting all other amounts due Landlord. Landlord shall reasonably attempt to deliver an Annual Statement by June 1 of the year following the year to which such Annual Statement pertains. If Landlord shall failure to so deliver an Annual Statement to Tenant by August 1 of the year following the year to which such Annual Statement pertains, then Landlord shall be deemed to have waived Landlord’s rights to payment, if any, from Tenant for such year.
| 12 |
The Annual Statement shall be final and binding upon Tenant unless Tenant, within 60 days after Tenant's receipt thereof, shall contest any item therein by giving written notice to Landlord, specifying each item contested and the reason therefor. Operating Expenses for the calendar years in which Tenant's obligation to share therein begins and ends shall be prorated. Any such contest by Tenant shall be based upon review of the Annual Statement by a certified public accountant engaged by Tenant (“Tenant’s CPA”). Tenant’s CPA shall not be compensated on a contingency basis, in whole or in part, will not in any manner solicit or agree to represent any other tenant of the Property for an audit or other review of Operating Expenses or an Annual Statement, shall maintain in strict confidence any and all information obtained in connection with its review of the Annual Statement and Operating Expenses, and shall not disclose that information to any person or entity other than to the ownership and management of Tenant and Landlord. Notwithstanding anything set forth herein to the contrary, if the Property is not at least 95% occupied on average during any year of the Term, Tenant's Share of Operating Expenses for such year shall be computed as though the Property had been 95% occupied on average during such year; provided, however, that (i) Landlord shall disclose in writing to Tenant if any such adjustment is made, and (ii) no such adjustment shall result in Landlord receiving payments for Operating Expenses in excess of the amounts incurred by Landlord for Operating Expenses. [
"Tenant's Share" shall be the percentage set forth on the first page of this Lease as Tenant's Share as reasonably adjusted by Landlord for changes in the physical size of the Premises or the Property occurring thereafter Base Rent, Tenant's Share of Operating Expenses and all other amounts payable by Tenant to Landlord hereunder are collectively referred to herein as "Rent."
| 13 |
6. Security Deposit. As security for the performance of all of Tenant’s obligations hereunder, Tenant shall deposit with Landlord, upon delivery of an executed copy of this Lease to Landlord, (a) a security deposit (the "Security Deposit") in the amounts set forth in the defined terms of this Lease, which Security Deposit shall, as described in the defined terms, be in the form of cash and an unconditional and irrevocable letter of credit (the "Letter of Credit"): (i) in form and substance satisfactory to Landlord, (ii) naming Landlord as beneficiary, (iii) expressly allowing Landlord to draw upon it at any time from time to time by delivering to the issuer notice that Landlord is entitled to draw thereunder, (iv) issued by an FDIC-insured financial institution satisfactory to Landlord, and (v) redeemable by presentation of a sight draft in the state of Landlord's choice. If Tenant does not provide Landlord with a substitute Letter of Credit complying with all of the requirements hereof at least 10 days before the stated expiration date of any then current Letter of Credit, Landlord shall have the right to draw the full amount of the current Letter of Credit and hold the funds drawn in cash without obligation for interest thereon as the Security Deposit. The Security Deposit shall be held by Landlord as security for the performance of Tenant's obligations under this Lease. The Security Deposit is not an advance rental deposit or a measure of Landlord's damages in case of Tenant's default. Upon each occurrence of a Default (as defined in Section 20), Landlord may use all or any part of the Security Deposit to pay delinquent payments due under this Lease, future rent damages provided in this Lease as they come due, and the cost of any damage, injury, expense or liability caused by such Default, without prejudice to any other remedy provided herein or provided by law. Landlord's right to use the Security Deposit under this Section 6 includes the right to use the Security Deposit to pay future rent damages following the termination of this Lease pursuant to Section 21(c) below. Upon any use of all or any portion of the Security Deposit, Tenant shall pay Landlord on demand the amount that will restore the Security Deposit to the amount set forth on Page 1 of this Lease. Tenant hereby waives the provisions of any law, now or hereafter in force which provide that Landlord may claim from a security deposit only those sums reasonably necessary to remedy defaults in the payment of Rent, to repair damage caused by Tenant or to clean the Premises, it being agreed that Landlord may, in addition, claim those sums reasonably necessary to compensate Landlord for any other loss or damage, foreseeable or unforeseeable, caused by the act or omission of Tenant or any officer, employee, agent or invitee of Tenant, as long as the same also constitutes a Default under this Lease. Upon bankruptcy or other debtor-creditor proceedings against Tenant, the Security Deposit shall be deemed to be applied first to the payment of Rent and other charges due Landlord for periods prior to the filing of such proceedings. Upon any such use of all or any portion of the Security Deposit, Tenant shall, within 5 days after demand from Landlord, restore the Security Deposit to its original amount. If Tenant shall fully perform every provision of this Lease to be performed by Tenant, the Security Deposit, or any balance thereof (i.e., after deducting therefrom all amounts to which Landlord is entitled under the provisions of this Lease), shall be returned to Tenant (or, at Landlord's option, to the last assignee of Tenant's interest hereunder) within 30 days after the expiration or earlier termination of this Lease.
If Landlord transfers its interest in the Property or this Lease, Landlord shall transfer any Security Deposit then held by Landlord to a person or entity assuming Landlord's obligations under this Section 6. Only upon such transfer to such transferee, shall Landlord have no further obligation with respect to the Security Deposit, and Tenant's right to the return of the Security Deposit shall apply solely against Landlord's transferee. The Security Deposit is not an advance rental deposit or a measure of Landlord's damages in case of Tenant's default. Landlord's obligation respecting the Security Deposit is that of a debtor, not a trustee, and no interest shall accrue thereon.
The Letter of Credit Security Deposit shall be subject to adjustment as follows:
(i) If, after the expiration of the fifth Lease Year, Tenant is not then in Default under this Lease, has not been in Default more than twice during the Term, and the Landlord has not drawn on the Letter of Credit Security Deposit, then the Letter of Credit Security Deposit shall be reduced to $750,000.00 either by amendment or replacement of the Letter of Credit).
(ii) If, after the expiration of the sixth Lease Year, Tenant is not then in Default under this Lease, has not been in Default more than twice during the Term, and the Landlord has not drawn on the Letter of Credit Security Deposit, then the Letter of Credit Security Deposit shall be reduced to $375,000.00 either by amendment or replacement of the Letter of Credit).
(iii) If, after the expiration of the seventh Lease Year, Tenant is not then in Default under this Lease, has not been in Default more than twice during the Term, and the Landlord has not drawn on the Letter of Credit Security Deposit, then the Letter of Credit Security Deposit shall be released and cancelled.
| 14 |
7. Use.
(a) Permitted Use. The Premises shall be used solely for the Permitted Use set forth in the basic lease provisions on page 1 of this Lease, and in compliance with all laws, orders, judgments, ordinances, regulations, codes, directives, permits, licenses, covenants and restrictions now or hereafter applicable to the Premises, and to the use and occupancy thereof, including, without limitation, the Americans With Disabilities Act, 42 U.S.C. § 12101, et seq. (together with the regulations promulgated pursuant thereto, "ADA") (collectively, "Legal Requirements" and each, a "Legal Requirement"). Except as provided herein, Landlord shall be responsible for compliance of those portions of the Property not then leased to Tenant or other parties other than Landlord or Landlord’s affiliates, including but not limited to common areas, with Legal Requirements. Tenant shall, upon 5 days' written notice from Landlord, discontinue any use of the Premises which is declared by any Governmental Authority (as defined in Section 9) having jurisdiction to be a violation of a Legal Requirement. Tenant will not use or permit the Premises to be used for any purpose or in any manner that would void Tenant's or Landlord's insurance, increase the insurance risk, or cause the disallowance of any sprinkler or other credits, it being acknowledged that use of the Premises for the Permitted Use shall not be prohibited or impaired hereby. Tenant shall not permit any part of the Premises to be used as a "place of public accommodation", as defined in the ADA or any similar legal requirement. Tenant shall reimburse Landlord promptly upon demand for any additional premium charged for any such insurance policy by reason of Tenant's failure to comply with the provisions of this Section or otherwise caused by Tenant's use and/or occupancy of the Premises for any use or purpose other than the Permitted Use. Tenant will use the Premises in a careful, safe and proper manner and will not commit or permit waste, overload the floor or structure of the Premises, subject the Premises to use that would damage the Premises or obstruct or interfere with the rights of Landlord or other tenants or occupants of the Property, including conducting or giving notice of any auction, liquidation, or going out of business sale on the Premises, or using or allowing the Premises to be used for any unlawful purpose. Tenant shall cause any equipment or machinery to be installed in the Premises so as to reasonably prevent or mitigate sounds or vibrations from the Premises from extending into Common Areas, or other occupied space in the Property. Tenant shall not transport or move any machinery or equipment weighing 500 pounds or more through the Common Areas of the Property or in the Property elevators without the prior written consent of Landlord, not to be unreasonably withheld, conditioned or delayed. Tenant shall not exceed Building floor load limits within the Premises or Building. Except as the same may be accommodated by Tenant’s Work or other approved Alterations to the Premises, Tenant shall not, without the prior written consent of Landlord, use the Premises in any manner which will require ventilation, air exchange, heating, gas, steam, electricity or water beyond the existing capacity of the Property as proportionately allocated to the Premises based upon Tenant's Share as usually furnished for the Permitted Use. Subject to security protocols established by Landlord from time to time for the Building and other express provisions of this Lease, Tenant will have access to the Building, Common Areas and the Premises 24 hours a day, 7 days a week and 365/366 days a year.
| 15 |
(b) Legal Requirements. Tenant, at its sole expense, shall make any alterations or modifications to the interior or the exterior of the Premises or the Property that are required by Legal Requirements (including, without limitation, compliance of the Premises with the ADA), related to Tenant's particular use or occupancy of the Premises or required as part of any Alterations. Landlord shall be responsible for any such alterations or modifications to the extent they arise out of use or occupancy of, or alterations to, the Property made by or for Landlord or other tenants or prospective tenants at the Property (other than Tenant). Notwithstanding any other provision herein to the contrary, Tenant shall be responsible for any and all demands, claims, liabilities, losses, costs, expenses, actions, causes of action, damages or judgments, and all reasonable expenses incurred in investigating or resisting the same (including, without limitation, reasonable attorneys' fees, charges and disbursements and costs of suit) (collectively, "Claims") arising out of or in connection with Legal Requirements that are related to Tenant's particular use or occupancy of the Premises, and Tenant shall indemnify, defend, hold and save Landlord harmless from and against any and all Claims arising out of or in connection with any failure of the Premises to comply with any such Legal Requirement except to the extent such compliance is expressly Landlord’s responsibility under this Lease.
(c) Emergency Generator.
(i) Tenant shall have the right to use on a shared basis in common with other tenants and occupants of the Property the emergency standby generator (“Generator”) at the Property in the event of a power outage. Tenant’s use of the Generator shall not exceed 30 kW. Without limiting the generality of the foregoing or any other term or provision of this Lease, Tenant, in its use of the Generator, shall comply with all permits with respect to the Generator and all Environmental Laws and other Legal Requirements. Tenant shall indemnify and hold Landlord harmless from and against any and all claims of any kind or nature to the extent related to the use of the Generator by Tenant or any other Tenant Party.
(ii) Landlord shall have no obligation or liability to Tenant on account of, or in any way related to, the condition, use or operation of the Generator nor shall Landlord have any obligation or liability to Tenant or any other party on account of any use or non-use of or damage to the Generator caused by any other tenant, subtenant, licensee, invitee, agent, servant, contractor or other party who may, from time to time, make use of the same nor shall Landlord have any obligation to Tenant on account of or in any way related to any failure of the Generator to comply with Environmental Requirements or other Legal Requirements or, except as specifically set forth in this Section 7(c), for any failure of the Generator to function or operate in any particular manner. While the Generator installed at the Property as of the Effective Date may meet National Fire Protection Association (“NFPA”) Life Safety Code requirements, Landlord makes no warranty or representation as to such compliance and shall not be responsible for maintaining the Generator or any additional or replacement Generator in compliance with such requirements. In the event Tenant requires generator capacity that is NFPA Life Safety Code compliant, Tenant shall be solely responsible for ensuring such compliance or obtaining generator capacity that is so compliant, all at Tenant’s sole cost and expense. If replacement of the Generator is appropriate in Landlord’s judgment, Landlord shall replace the Generator with one having capacity sufficient to allow Tenant 30 kW of usage.
| 16 |
(iii) Tenant shall be solely responsible for all costs and expenses which Landlord may suffer or incur or pay on account of or in any way related to the use of Generator by Tenant or any Tenant Party (including, without limitation, any damage caused to the Generator).
(iv) All costs and expenses incurred by Landlord from time to time to maintain and repair the Generator shall be included in Operating Expenses. Notwithstanding the foregoing to the contrary, Tenant shall be responsible for one hundred (100%) percent of the Generator expenses that are attributable to any (a) damage caused to the Generator by Tenant or any Tenant Party, (b) any failure of Tenant or any Tenant Party to comply with Legal Requirements related to the Generator and all such costs and expenses shall be due and payable as Additional Rent within fifteen (15) days after being billed by Landlord.
(v) Landlord shall be responsible for maintenance, repair and replacement of the Generator but in no event shall Landlord be responsible for any maintenance, repair or replacement of the Generator to the extent the need therefor is caused by any failure of Tenant or any Tenant Party to observe, perform and comply with this Lease or by any act or omission of the Tenant or any Tenant Party or by reason of any damage caused to the Generator by Tenant or any Tenant Party. Without limiting any other term or provision of this Lease in no event shall Landlord have any obligation or liability to Tenant on account of, or in any way related to, any use, non-use of, or damage to the Generator nor any failure of the Generator to operate or function caused by any other tenant, subtenant, licensee, invitee, agent, servant, contractor or other party who may from time to time make use of the same nor on account of any failure of any such other Tenant, subtenant, licensee, invitee, agent, servant, contractor or other party to comply with Legal Requirements in any way related to the Generator or the use thereof. In no event shall Landlord have any liability to Tenant for lost revenues, profits, damage to business or consequential damages on account of, or in any way related to, the failure of Landlord to maintain, repair or replace the Generator nor for any failure of the Generator to operate or function properly, nor shall Landlord have any obligation to Tenant on account of or in any way related to any failure of the Generator to comply with Environmental Requirements or other Legal Requirements.
(vi) Without limiting any other term or provision of this Lease, Landlord reserves the right to curtail, suspend, interrupt and/or stop use of the Generator without thereby incurring any liability to Tenant or any Tenant Party when necessary by reason of accident or emergency, or for repairs, alterations, replacements or improvements in the judgment of Landlord desirable or necessary or when required in order to comply with Legal Requirements or when use thereof is interrupted, suspended or prevented under Legal Requirements or by strikes, lockouts, difficulty of obtaining materials, accidents or any other cause beyond Landlord's control or by laws, orders or inability by exercise of reasonable diligence, to obtain electricity, water, gas, steam, coal, oil or other suitable fuel or power. No diminution or abatement of rent or other compensation, nor any direct, indirect or consequential damages or claims for lost profits, or damage to business shall, or will be, claimed by Tenant (or any Tenant Party) as a result of, nor shall this Lease nor any of the obligations of Tenant or any Tenant Party be affected or reduced by reason of any such interruption, curtailment, or suspension. Failure or omission on the part of Landlord to maintain, repair or replace the Generator or to comply with Legal Requirements related to the Generator shall not be construed as an eviction of Tenant, actual or constructive, or, except as noted in Section 11, entitle Tenant to an abatement of Base Rent, nor to render the Landlord liable in damages, nor release Tenant from prompt fulfillment of any of its covenants under this Lease.
| 17 |
(vii) In addition, Tenant, at its sole cost, may install its own generator using the concrete pad located adjacent to the Generator. Installation and wiring shall be pursuant to plans submitted for approval to Landlord, which approval shall not be unreasonably withheld, conditioned or delayed. Tenant shall be responsible for all repair, maintenance and replacement costs associated with this Tenant-installed generator. At the end of the term, Tenant shall remove any Tenant-installed generator and all wiring associated with the same and restore the property on which it was located to its previous condition.
8. Holding Over. If, with Landlord's express written consent, Tenant retains possession of the Premises after the termination of the Term, (i) unless otherwise agreed in such written consent, such possession shall be subject to immediate termination by Landlord at any time, (ii) all of the other terms and provisions of this Lease (including, without limitation, the adjustment of Base Rent pursuant to Section 4 hereof) shall remain in full force and effect (excluding any expansion or renewal option or other similar right or option) during such holdover period, (iii) Tenant shall continue to pay Base Rent in the amount payable upon the date of the expiration or earlier termination of this Lease or such other amount as Landlord may indicate, in Landlord's sole and absolute discretion, in such written consent, and (iv) all other payments shall continue under the terms of this Lease. If Tenant remains in possession of the Premises after the expiration or earlier termination of the Term without the express written consent of Landlord, (A) Tenant shall become a tenant at sufferance upon the terms of this Lease except that the monthly Base Rent payment shall be equal to 150% of Base Rent in effect during the last 30 days of the Term, and (B) Tenant shall be responsible for all damages suffered by Landlord resulting from or occasioned by Tenant's holding over, including consequential damages. No holding over by Tenant, whether with or without consent of Landlord, shall operate to extend this Lease except as otherwise expressly provided, and this Section 8 shall not be construed as consent for Tenant to retain possession of the Premises. Acceptance by Landlord of Rent after the expiration of the Term or earlier termination of this Lease shall not result in a renewal or reinstatement of this Lease.
| 18 |
9. Taxes. Tenant shall pay, as part of Operating Expenses, all taxes, levies, fees, assessments and governmental charges of any kind, existing as of the Commencement Date or thereafter enacted (collectively referred to as "Taxes"), imposed by any federal, state, regional, municipal, local or other governmental authority or agency, including, without limitation, quasi-public agencies (collectively, "Governmental Authority") during the Term, including, without limitation, all Taxes if imposed in lieu of a tax on Landlord’s income: (i) imposed on or measured by or based, in whole or in part, on rent payable to (or gross receipts received by) Landlord under this Lease and/or from the rental by Landlord of the Property or any portion thereof, or (ii) based on the square footage, assessed value or other measure or evaluation of any kind of the Premises or the Property, or (iii) assessed or imposed by or on the operation or maintenance of any portion of the Premises or the Property, including parking, or (iv) assessed or imposed by, or at the direction of, or resulting from Legal Requirements, or interpretations thereof, promulgated by any Governmental Authority, or (v) imposed as a license or other fee, charge, tax, or assessment on Landlord's business or occupation of leasing space in the Property. Landlord may contest by appropriate legal proceedings the amount, validity, or application of any Taxes or liens securing Taxes. Taxes shall not include any net income taxes imposed on Landlord except to the extent such net income taxes are in substitution for any Taxes payable hereunder. If any such Tax is levied or assessed directly against Tenant, then Tenant shall be responsible for and shall pay the same at such times and in such manner as the taxing authority shall require. Tenant shall pay, prior to delinquency, any and all Taxes levied or assessed against any personal property or trade fixtures placed by Tenant in the Premises, whether levied or assessed against Landlord or Tenant. If any Taxes on Tenant's personal property or trade fixtures are levied against Landlord or Landlord's property, or if the assessed valuation of the Property is increased by a value attributable to improvements in or alterations to the Premises made after the Commencement Date, whether owned by Landlord or Tenant and whether or not affixed to the real property so as to become a part thereof, higher than the base valuation on which Landlord from time-to-time allocates Taxes to all tenants in the Property, Landlord shall have the right, but not the obligation, to pay such Taxes. The amount of any such payment by Landlord shall constitute Additional Rent due from Tenant to Landlord within 30 days of demand. Notwithstanding anything set forth herein to the contrary, if any portion of the Property is exempt from real property taxation and the Premises is not exempt from real property taxation, Tenant shall pay its share of such Taxes based on multiplying the Taxes for Property by a fraction of which the rentable square footage of the Premises is the numerator and the rentable square footage of the Property that is not exempt from real property taxation is the denominator.
10. Parking. Subject to all matters of record, Force Majeure, a Taking (as defined in Section 19 below) and the exercise by Landlord of its rights hereunder, Tenant shall have the right to park in up to 28 parking spaces of which 6 will be reserved, in the location shown on the site plan attached hereto as Exhibit G, until the Section B Occupancy Date and thereafter 54 parking spaces of which 12 will be reserved, in the location shown on the site plan attached hereto as Exhibit G, at no additional expense to the Tenant during the Term of the Lease, subject in each case to Landlord's rules and regulations. Landlord shall not be responsible for enforcing Tenant's parking rights against any third parties, other than other tenants of the Property. Parking shall be for licensed, operative motor vehicles only by officers, directors, employees, visitors and contractors of Tenant. No overnight parking shall be permitted without Landlord’s prior written consent.
| 19 |
11. Utilities, Services. The Building will be operated with twenty-four hour, seven day access, such access to be controlled during non-Business Hours (as hereinafter defined). Landlord shall provide, subject to the terms and limitations of this Section 11, water, electricity, heat, chilled water, hot water, electrical, fire protection, light, power, sewer, and other utilities (including gas and fire sprinklers to the extent the Property is plumbed for such services), refuse and trash collection and janitorial services (collectively, "Utilities"). Central heat and air conditioning shall be provided during Business Hours in season, at such temperatures and in such amounts as are provided by Landlord as standard to other tenants of the Building or as may be controlled by applicable laws, ordinances, rules and regulations or by voluntary conservation programs with which comparable laboratory and office buildings in the greater Worcester metropolitan area are complying. The term “Business Hours” shall be deemed to be Monday through Friday from 8:00 A.M. to 6:00 P.M. and Saturday from 8:00 A.M. to 1:00 P.M., excepting Holidays. The term “Holidays” shall mean all federally observed holidays, including New Year’s Day, President’s Day, Memorial Day, Independence Day, Labor Day, Thanksgiving Day, Christmas Day, and to the extent of utilities or services provided by union members engaged at the Property, such other holidays observed by such unions. The term “Business Day” or “business day” shall mean all days other than Holidays, Saturdays and Sundays. Tenant may request heating, ventilation, air conditioning provided by Landlord to Tenant (i) during hours other than Business Hours, (ii) on Saturdays (after Business Hours), Sundays, or Holidays, said heating, ventilation and air conditioning or extra service to be furnished solely upon the prior written request of Tenant given with such advance notice as Landlord may reasonably require and Tenant shall pay to Landlord Landlord’s standard charge for overtime HVAC on an hourly basis from time to time established by Landlord (the current standard charge for after-hours heating from November to March is $15.00 per hour, for after-hours cooling from April through October is $5.00 per hour, in either case with a four hour minimum. Landlord shall pay, as Operating Expenses or subject to Tenant's reimbursement obligation, for all utilities used on the Premises, all maintenance charges for utilities, and any storm sewer charges or other similar charges for utilities imposed by any Governmental Authority or utility provider, and any taxes, penalties, surcharges or similar charges thereon. Landlord may cause, at Tenant's expense, any utilities to be separately metered or charged directly to Tenant by the provider. Tenant shall pay directly to the utility provider, prior to delinquency, any separately metered utilities and services which may be furnished to Tenant or the Premises during the Term. Tenant shall pay, as part of Operating Expenses, its share of all charges for jointly metered utilities based upon consumption, as reasonably determined by Landlord. No interruption or failure of utilities, from any cause whatsoever other than the negligence or willful misconduct of Landlord or its officers, directors, employees, managers, agents, invitees and contractors (collectively, "Landlord Parties"), shall result in eviction or constructive eviction of Tenant, termination of this Lease or the abatement of Rent, provided, however that, in the event that Landlord is unable to supply any of the Utilities due to the negligence or willful misconduct of a Landlord Party, and such inability materially impairs Tenant’s ability to carry on the Permitted Use in the Premises for a period of three (3) consecutive Business Days, Base Rent and Additional Rent shall be abated effective as of the first day of such material interference with the Permitted Use. Such abatement shall continue until the applicable Utilities have been restored to such extent that the lack of any remaining services no longer materially impairs Tenant’s ability to carry on the Permitted Use in the Premises. Tenant shall not be entitled to such an abatement to the extent that Landlord’s inability to supply a Utility to Tenant is caused by Tenant or Tenant Parties. In the event of any stoppage or interruption of a Utility to the Premises, Landlord shall use commercially reasonable efforts to restore such Utility to the Premises as soon as possible, which as to restoration actions in the control of an applicable Utility provider shall only require notice to such provider and reasonable follow up and shall not require any restoration action by Landlord. Landlord shall promptly notify Tenant of any planned or actual interruption of Utilities, and shall keep Tenant advised of the status of such restoration efforts. Tenant agrees to limit use of water and sewer with respect to Common Areas to normal restroom use. Notwithstanding the foregoing, Tenant shall pay directly to the utility or direct to Landlord for its own electricity usage as measured by a separate electric meter or submeter exclusively serving the Premises (to be installed by Landlord at its expense as herein provided), including usage for any specialty HVAC equipment for Tenant’s lab, except during the first six (6) months of the first Lease Year, in which Landlord shall cause such amounts to be paid. Additionally, but without any duplication of expense, Tenant shall pay Tenant’s Share of any single-meter utilities that are chargeable hereunder as Operating Expenses and for the equal benefit to all Building tenants. It shall be Landlord’s sole cost and expense to meter either by meter or submeter promptly, separately both Section A and Section B of the Premises. Tenant shall commence payment of electricity charges for Section A commencing with the seventh (7th) month of the first Lease Year and with respect to Section B commencing on the Section B Occupancy Date.
| 20 |
If required, and subject to Landlord’s reasonable approval, Tenant shall be allowed to place additional HVAC equipment to serve the Premises outside of the Premises in a location to be mutually agreed upon by Landlord and Tenant. Installation of such equipment shall constitute an Alteration and the installation and maintenance of such equipment shall be performed by Tenant’s contractor at Tenant’s sole expense.
12. Alterations and Tenant’s Property; Tenant’s Work. Tenant’s initial work to prepare the Premises for occupancy (“Tenant’s Work”) shall constitute Alterations and be constructed by Tenant pursuant to the terms and conditions of Exhibit H. Any alterations, additions, or improvements made to the Premises by or on behalf of Tenant other than Tenant’s Work, including additional locks or bolts of any kind or nature upon any doors or windows in the Premises, but excluding installation, removal or realignment of furniture systems (other than removal of furniture systems owned by Landlord) not involving any modifications to the structure or connections (other than by ordinary plugs or jacks) to Building Systems (as defined in Section 13) ("Alterations") shall be subject to Landlord's prior written consent, which may be given or withheld in Landlord's sole discretion if any such Alteration affects the structure or Building Systems and shall not be otherwise unreasonably withheld, conditioned or delayed. Any request for approval of Alterations shall be in writing, delivered not less than 15 business days in advance of any proposed construction, and accompanied by plans, specifications, bid proposals, work contracts and such other information concerning the nature and cost of the Alterations as may be reasonably requested by Landlord, including the identities and mailing addresses of all persons performing work or supplying materials. Landlord's right to review plans and specifications and to monitor construction shall be solely for its own benefit, and Landlord shall have no duty to ensure that such plans and specifications or construction comply with applicable Legal Requirements. Tenant shall cause, at its sole cost and expense, all Alterations to comply with insurance requirements and with Legal Requirements and shall implement at its sole cost and expense any alteration or modification required by Legal Requirements as a result of any Alterations. Except with respect to Tenant’s Work (the terms of which payment from Tenant to Landlord are provided in Section 3.C. of Exhibit H), Tenant shall pay to Landlord, as Additional Rent, an amount equal to any third-party costs actually incurred by Landlord and reasonable allocated costs associated with in-house evaluation for plan review, coordination, scheduling and supervision. Before Tenant begins any Alteration, Landlord may post on and about the Premises notices of non-responsibility pursuant to applicable law. Tenant shall reimburse Landlord for, and indemnify and hold Landlord harmless from, any expense incurred by Landlord by reason of faulty work done by Tenant or its contractors, delays caused by such work, or inadequate cleanup, in each case, in connection with an Alteration by Tenant.
| 21 |
Tenant shall provide (and cause each contractor or subcontractor to provide) certificates of insurance for workers' compensation and other coverage in amounts and from an insurance company satisfactory to Landlord protecting Landlord against liability for personal injury or property damage during construction. Upon completion of any Alterations, Tenant shall deliver to Landlord: (i) sworn statements setting forth the names of all contractors and subcontractors who did the work and final lien waivers from all such contractors and subcontractors; and (ii) "as built" plans for any such Alteration, unless the Alteration did not require the issuance of a permit from a Governmental Authority.
Except for Removable Installations (as hereinafter defined), all Installations (as hereinafter defined) shall be and shall remain the property of Landlord during the Term and following the expiration or earlier termination of the Term, shall not be removed by Tenant at any time during the Term, and shall remain upon and be surrendered with the Premises as a part thereof. Notwithstanding the foregoing, Landlord may, at the time its approval of any such Installation is requested, notify Tenant that Landlord requires that Tenant remove such Installation upon the expiration or earlier termination of the Term, in which event Tenant shall remove such Installation in accordance with the immediately succeeding sentence. Upon the expiration or earlier termination of the Term, Tenant shall remove (i) all wires, cables or similar equipment which Tenant has installed in the Premises or in the risers or plenums of the Building, (ii) any Installations for which Landlord has given Tenant notice of removal in accordance with the immediately preceding sentence, and (iii) all of Tenant's Property (as hereinafter defined), and Tenant shall restore and repair any damage caused by or occasioned as a result of such removal, including, without limitation, capping off all such connections behind the walls of the Premises and repairing any holes. During any restoration period beyond the expiration or earlier termination of the Term, Tenant shall pay Rent to Landlord as provided herein as if said space were otherwise occupied by Tenant. If Landlord is requested by Tenant or any lender, lessor or other person or entity claiming an interest in any of Tenant's Property to waive any lien Landlord may have against any of Tenant's Property, and Landlord consents to such waiver, then Landlord shall be entitled to be paid as administrative rent a fee of $1,000 per occurrence for its time and effort in preparing and negotiating such a waiver of lien.
For purposes of this Lease, (x) "Removable Installations" means any items listed on Exhibit E attached hereto and any items agreed by Landlord in writing to be characterized as Removable Installations, (y) "Tenant's Property'' means Removable Installations and, other than Installations, any personal property or equipment of Tenant that may be removed without material damage to the Premises, and (z) "Installations" means, except to the extent included in Tenant’s Work, all property of any kind if paid for by Landlord, all Alterations, all fixtures, and all partitions, hardware, built-in machinery, built-in casework and cabinets and other similar additions, equipment, property and improvements built into the Premises so as to become an integral part of the Premises, including, without limitation, fume hoods which penetrate the roof or plenum area, built-in cold rooms, built-in warm rooms, walk-in cold rooms, walk-in warm rooms, deionized water systems, glass washing equipment, autoclaves, chillers, built-in plumbing, electrical and mechanical equipment and systems, and any power generator and transfer switch.
| 22 |
13. Landlord's Repairs. Landlord, as an Operating Expense, shall maintain all of the structural, exterior, parking and other Common Areas of the Property, including the Building foundation, roof, roof system, and exterior walls, exterior windows and doors and the frames and casing therefor, and HVAC, plumbing, fire sprinklers and other life-safety systems, security systems for the Building, elevators, the Generator, and all other building systems serving the Premises and other portions of the Property ("Building Systems") (but excluding therefrom systems solely serving the Premises as listed in Section 14(ii) below), in good repair, reasonable wear and tear and uninsured losses and damages caused by Tenant, or by any of Tenant's agents, servants, employees, invitees and contractors (collectively, "Tenant Parties" and each, a "Tenant Party") excluded. Losses and damages caused by Tenant or any Tenant Party shall be repaired by Landlord, to the extent not covered by insurance, at Tenant's sole cost and expense. Landlord reserves the right to stop Building Systems services when necessary (i) by reason of accident or emergency, or (ii) for planned repairs, alterations or improvements, which are, in the judgment of Landlord, desirable or necessary to be made, until said repairs, alterations or improvements shall have been completed. Landlord shall have no responsibility or liability for failure to supply Building Systems services during any such period of interruption; provided, however, that Landlord shall, except in case of emergency, make a commercially reasonable effort to give Tenant 24 hours’ advance notice of any planned stoppage of Building Systems services for routine maintenance, repairs, alterations or improvements, and, if reasonably feasible, to conduct any routine maintenance, repairs, alterations or improvements to Building Systems that would require a stoppage that would materially affect Tenant’s use and enjoyment of the Premises for the Permitted Use after Business Hours. Tenant shall promptly give Landlord written notice of any repair required by Landlord pursuant to this Section, after which Landlord shall make a commercially reasonable effort to effect such repair.
If Landlord is in default in the performance of any of its obligations under this Section 13, beyond applicable notice and cure periods, then Tenant shall have the right to remedy such default on Landlord’s behalf (provided that Tenant uses reasonable efforts to avoid violating or rendering void any warranties maintained by Landlord), in which event Landlord shall reimburse Tenant within forty five (45) days after invoice for all reasonable costs and expenses incurred by Tenant in connection therewith. Tenant’s self-help rights under this Section 13 shall be exercised by Tenant only (i) with respect to conditions actually existing within the Premises (and not affecting the structural components of the Building or systems serving other tenants of the Building), (ii) with respect to conditions that materially affect Tenant’s ability to use and enjoy the Premises, and (iii) after Tenant has provided Landlord with notice of Tenant’s intention to exercise such right, and Landlord has failed to commence action to remedy the condition complained of within ten (10) days after its receipt of such notice (or if Landlord commences to do the act required within such period but fails to proceed diligently thereafter). Tenant’s remedies under this Section 13 are personal to Tenant and may not be exercised by any subtenants or assignees (other than an assignee through a Permitted Assignment) against Landlord. Tenant shall indemnify, save harmless and defend Landlord and its members, managers, officers, mortgagees, agents, employees, independent contractors, invitees and other persons acting under them from and against all liability, claim or cost (including reasonable attorneys’ fees) arising in whole or in part out of any negligence or willful misconduct in connection with Tenant’s exercise of its remedies pursuant to this Section 13. Except as provided in the preceding sentence, Tenant waives its rights under any state or local law to terminate this Lease or to make such repairs at Landlord's expense and agrees that the parties' respective rights with respect to such matters shall be solely as set forth herein. Repairs required as the result of fire, earthquake, flood, vandalism, war, or similar cause of damage or destruction shall be controlled by Section 18.
| 23 |
14. Tenant's Repairs. Subject to Section 13 hereof, Tenant, at its expense, (i) shall repair, replace and maintain in good condition all portions of the Premises, including, without limitation, entries, doors, ceilings, interior windows, interior walls, and the interior side of demising walls, and (ii) shall bear the cost of maintenance and repair, by contractors reasonably acceptable to the Landlord (Landlord approval of contractors for HVAC and plumbing in clean rooms as part of Tenant’s Work shall be deemed approved for repairs to such installations), or, in Landlord’s discretion by Landlord or Landlord’s contractor on behalf of Tenant at Tenant’s expense (except that Tenant shall not be required to pay expenses that exceed pricing available in the Worcester, MA area for similar services from third-party vendors), of all facilities which are not expressly required to be maintained or repaired by Landlord and which are located in the Premises, including, without limitation, lavatory, shower, toilet, wash basin and kitchen facilities, and supplemental heating and air conditioning systems (including all plumbing connected to said facilities or systems installed by or on behalf of Tenant or existing in the Premises at the time of Landlord’s delivery of the Premises to Tenant). Such repair and replacement may include capital expenditures and repairs whose benefit may extend beyond the Term. Should Tenant fail to make any such repair or replacement or fail to maintain the Premises, Landlord shall give Tenant notice of such failure. If Tenant fails to commence cure of such failure within 10 days of Landlord's notice, and thereafter diligently prosecute such cure to completion, Landlord may perform such work and shall be reimbursed by Tenant within 10 days after demand therefor; provided, however, that if such failure by Tenant creates or could create an emergency, Landlord may immediately commence cure of such failure and shall thereafter be entitled to recover the costs of such cure from Tenant. Subject to Sections 17 and 18, Tenant shall bear the full uninsured cost of any repair or replacement to any part of the Property that results from damage caused by Tenant or any Tenant Party.
15. Mechanic's Liens. Tenant shall discharge, by bond or otherwise, any mechanic's lien filed against the Premises or against the Property for work validly claimed to have been done for, or materials validly claimed to have been furnished to, Tenant within 30 days after the filing thereof, at Tenant's sole cost and shall otherwise keep the Premises and the Property free from any liens arising out of work performed, materials furnished or obligations actually incurred by Tenant. Should Tenant fail to discharge any lien as required herein, Landlord shall have the right, but not the obligation, to pay such claim or post a bond or otherwise provide security to eliminate the lien as a claim against title to the Property and the cost thereof shall be immediately due from Tenant as Additional Rent. If Tenant shall lease or finance the acquisition of office equipment, furnishings, or other personal property of a removable nature utilized by Tenant in the operation of Tenant's business, Tenant warrants that any Uniform Commercial Code Financing Statement filed as a matter of public record by any lessor or creditor of Tenant will upon its face or by exhibit thereto indicate that such Financing Statement is applicable only to removable personal property of Tenant located within the Premises. In no event shall the address of the Property be furnished on the statement without qualifying language as to applicability of the lien only to removable personal property, located in an identified suite held by Tenant.
| 24 |
16. Indemnification. Tenant hereby indemnifies and agrees to defend, save and hold Landlord harmless from and against any and all Claims for injury or death to persons or damage to property occurring within or about the Premises, to the extent arising directly or indirectly out of the use or occupancy of the Premises or a breach or default by Tenant in the performance of any of its obligations hereunder, but not to the extent caused by the willful misconduct or negligence of Landlord. Landlord shall not be liable to Tenant for, and Tenant assumes all risk of damage to, personal property (including, without limitation, loss of records kept within the Premises), except due to the negligence of willful misconduct of Landlord or a Landlord Party. Tenant further hereby irrevocably waives any and all Claims for injury to Tenant's business or loss of income relating to any such damage or destruction of personal property (including, without limitation, any loss of records), unless caused by the willful misconduct or negligence of Landlord. Landlord shall not be liable for any damages arising from any act, omission or neglect of any tenant in the Property or of any other third party.
17. Insurance. Tenant, at its sole cost and expense, shall maintain during the Term: (i) all risk property insurance with business interruption and extra expense coverage, covering the full replacement cost of all property and improvements installed or placed in the Premises by Tenant at Tenant's expense, including its laboratory equipment, office furniture, trade fixtures, office equipment, inventory, merchandise and all other items of Tenant Property, in an amount adequate to cover their replacement cost, including a vandalism and malicious mischief endorsement, and sprinkler leakage coverage; business interruption insurance, loss of income and extra expense insurance covering all perils covered by a standard, “Special Form” (as defined from time-to-time by the insurance industry) property insurance policy; (ii) workers' compensation insurance with no less than the minimum limits required by law; (iii) employer's liability insurance with such limits as required by law; and (iv) commercial general liability insurance, with a minimum limit of not less than $3,000,000 per occurrence for bodily injury and property damage with respect to the Premises. In addition, Tenant shall carry such other coverages, and in such amounts, as are required by Landlord from time to time, so long as such coverages and amounts are consistent with properties comparable to the Property in the greater Worcester metropolitan area. The commercial general liability insurance policy shall name Worcester Campus Services, and Landlord and Landlord Parties as additional insureds; insure on an occurrence and not a claims-made basis; be issued by insurance companies which have a rating of not less than policyholder rating of A and financial category rating of at least Class X in "Best's Insurance Guide"; shall not be cancelable for nonpayment of premium unless 30 days prior written notice shall have been given to Landlord from the insurer; contain a hostile fire endorsement and a contractual liability endorsement; and provide primary coverage to Landlord (any policy issued to Landlord providing duplicate or similar coverage shall be deemed excess over Tenant's policies). Certificates of insurance showing the limits of coverage required hereunder and showing Landlord and Property Agent as additional insureds, along with reasonable evidence of the payment of premiums for the applicable period, shall be delivered to Landlord by Tenant within three (3) days of the Commencement Date, but in any event prior to Tenant entering the Premises, and upon each renewal of said insurance. Any of Tenant’s policies may be a "blanket policy" with an aggregate per location endorsement, which specifically provides that the amount of insurance shall not be prejudiced by other losses covered by the policy. Tenant shall, at least 5 days prior to the expiration of such policies, furnish Landlord with renewal certificates.
| 25 |
In each instance where insurance is to name Landlord as an additional insured, Tenant shall upon written request of Landlord also designate and furnish certificates so evidencing Landlord as additional insured to: (i) any lender of Landlord holding a security interest in the Property or any portion thereof, (ii) the landlord under any lease wherein Landlord is tenant of the real property on which the Property is located, if the interest of Landlord is or shall become that of a tenant under a ground or other underlying lease rather than that of a fee owner, and/or (iii) any management company retained by Landlord to manage the Property.
Landlord shall maintain the following insurance during the Term either through third party insurance or Commonwealth of Massachusetts self-insurance: (i) Property insurance for the Building and Property, including the Tenant’s Work, in amounts equal to full replacement cost (exclusive of the costs of excavation, foundations and footings, engineering costs or such other costs that would not be incurred in the event of a rebuild and without reference to depreciation taken by Landlord upon its books or tax returns), provided that such coverage shall not be less than the amount of such insurance Landlord’s Holder, if any, requires Landlord to maintain, providing protection against any peril generally included within the classification “Fire and Extended Coverage,” together with insurance against sprinkler damage (if applicable), vandalism and malicious mischief and sprinkler leakage; (ii) Commercial General Liability insurance with limits of not less than Three Million Dollars ($3,000,000) per occurrence/general aggregate for bodily injury (including death), or property damage with respect to the Property; and (iii) subject to availability thereof and if Landlord deems it appropriate, coverage against flood, environmental hazard, earthquake, loss or failure of building equipment, rental loss during the period of repairs or rebuilding, Workers’ Compensation insurance and fidelity bonds for employees employed to perform services.
Landlord shall maintain such other liability, property and other insurance coverage as it deems prudent in its sole discretion and all such insurance shall be included as part of the Operating Expenses. The Property may be included in a blanket policy (in which case the cost of such insurance allocable to the Property will be determined by Landlord based upon the insurer's cost calculations). Tenant shall also reimburse Landlord for any increased premiums or additional insurance which Landlord reasonably deems necessary as a result of Tenant's use of the Premises.
The property insurance obtained by Landlord and Tenant shall include a waiver of subrogation by the insurers and all rights based upon an assignment from its insured, against Landlord or Tenant, and their respective officers, directors, employees, managers, agents, invitees and contractors ("Related Parties"), in connection with any loss or damage thereby insured against. Neither party nor its respective Related Parties shall be liable to the other for loss or damage caused by any risk insured against under property insurance required to be maintained hereunder, and each party waives any claims against the other party, and its respective Related Parties, for such loss or damage. The failure of a party to insure its property shall not void this waiver. Landlord and its respective Related Parties shall not be liable for, and Tenant hereby waives all claims against such parties for, business interruption and losses occasioned thereby sustained by Tenant or any person claiming through Tenant resulting from any accident or occurrence in or upon the Premises or the Property from any cause whatsoever. If the foregoing waivers shall contravene any law with respect to exculpatory agreements, the liability of Landlord or Tenant shall be deemed not released but shall be secondary to the other's insurer.
| 26 |
Landlord may require insurance policy limits to be raised to conform with requirements of Landlord's lender and/or to bring coverage limits to levels then being generally required of new tenants within the Property.
18. Restoration. If, at any time during the Term, the Property or the Premises are damaged or destroyed by a fire or other insured casualty, Landlord shall notify Tenant as soon as possible but in any event within 60 days after the earlier of notification or discovery of such damage as to the amount of time Landlord reasonably estimates it will take to restore the Property or the Premises, as applicable (the "Restoration Period"). If the Restoration Period is estimated to exceed 270 days from the later of receipt of insurance proceeds and commencement of such work with all required permits therefor (the "Maximum Restoration Period"), Landlord may, in such notice, elect to terminate this Lease as of the date of such damage or destruction. Unless Landlord so elects to terminate this Lease, Landlord shall, subject to receipt of sufficient insurance proceeds (with any deductible to be treated as a current Operating Expense), promptly restore the Premises (excluding the improvements installed by Tenant or by Landlord and paid for by Tenant), subject to delays arising from the collection of insurance proceeds, from Force Majeure events or as needed to obtain any license, clearance or other authorization of any kind required to enter into and restore the Premises issued by any Governmental Authority having jurisdiction over the use, storage, handling, treatment, generation, release, disposal, removal or remediation of Hazardous Materials (as defined in Section 30) in, on or about the Premises (collectively referred to herein as "Hazardous Materials Clearances"); provided, however, that if repair or restoration of the Premises is not substantially complete as of the end of the Maximum Restoration Period or, if longer, the Restoration Period, Landlord may, in its sole and absolute discretion, by notice to Tenant elect not to proceed with such repair and restoration, in which event Landlord shall be relieved of its obligation to make such repairs or restoration and this Lease shall terminate as of the date that is 75 days after the earlier of: (i) discovery of such damage or destruction, or (ii) the date all required permits, including any Hazardous Materials Clearances, are obtained, and Landlord shall return to Tenant any Rent previously paid by Tenant for any portion of the Term after the date of such termination.
Tenant, at its expense, shall promptly perform, subject to delays arising from the collection of insurance proceeds, from Force Majeure (as defined in Section 34) events or to obtain Hazardous Material Clearances, all repairs or restoration not required to be done by Landlord and shall promptly re-enter the Premises upon Landlord’s completion of the restorations and repairs and issuance of any certificate of occupancy in connection therewith and commence doing business in accordance with this Lease. Notwithstanding the foregoing, Landlord or Tenant may terminate this Lease if the Premises are damaged during the last 12 months of the Term and Landlord reasonably estimates that it will take more than 2 months to repair such damage, or if Landlord is denied its claim for insurance proceeds for such restoration. Rent shall be abated from the date of the damage or destruction until the Premises are repaired and restored, in the proportion which the area of the Premises, if any, which is not usable by Tenant bears to the total area of the Premises, unless Landlord provides Tenant with other comparable space in the Building for the Permitted Use during the period of repair that is suitable for the temporary conduct of the Permitted Use. The remedies provided to Tenant in this Section 18 shall be the sole remedies of Tenant, and except as provided in this Section 18, Tenant waives any right to terminate the Lease by reason of damage or casualty loss.
| 27 |
The provisions of this Lease, including this Section 18, constitute an express agreement between Landlord and Tenant with respect to any and all damage to, or destruction of, all or any part of the Premises, or any other portion of the Property, and any statute or regulation which is now or may hereafter be in effect shall have no application to this Lease or any damage or destruction to all or any part of the Premises or any other portion of the Property, the parties hereto expressly agreeing that this Section 18 sets forth their entire understanding and agreement with respect to such matters.
19. Condemnation. If the whole or any material part of the Premises or the Property is taken for any public or quasi-public use under governmental law, ordinance, or regulation, or by right of eminent domain, or by private purchase in lieu thereof (a "Taking" or "Taken"), and the Taking would in Landlord's reasonable judgment, either prevent or materially interfere with Tenant's use of the Premises or materially interfere with or impair Landlord's ownership or operation of the Property, then upon written notice by Landlord this Lease shall terminate and Rent shall be apportioned as of said date. If part of the Premises shall be Taken, and this Lease is not terminated as provided above, Landlord shall promptly restore the Premises and the Property as nearly as is commercially reasonable under the circumstances to their condition prior to such partial Taking and the rentable square footage of the Building, the rentable square footage of the Premises, Tenant's Share of Operating Expenses and the Rent payable hereunder during the unexpired Term shall be reduced to such extent fair and reasonable under the circumstances. Upon any such Taking, Landlord shall be entitled to receive the entire price or award from any such Taking without any payment to Tenant, and Tenant hereby assigns to Landlord Tenant's interest, if any, in such award. Tenant shall have the right, to the extent that same shall not diminish Landlord's award, to make a separate claim against the condemning authority (but not Landlord) for such compensation as may be separately awarded or recoverable by Tenant for moving expenses and damage to Tenant's trade fixtures, if a separate award for such items is made to Tenant. Tenant hereby waives any and all rights it might otherwise have pursuant to any provision of state law to terminate this Lease upon a partial Taking of the Premises or the Property.
20. Events of Default. Each of the following events shall be a default ("Default") by Tenant under this Lease:
(a) Payment Defaults. Tenant shall fail to pay any installment of Rent or any other payment hereunder when due; provided, however, that for the first two (2) overdue payments in any twelve (12) month period, there shall be no Default unless Tenant shall have failed to make such overdue payment within five (5) days after receiving written notice of such failure from Landlord.
(b) Insurance. Any insurance required to be maintained by Tenant pursuant to this Lease shall be canceled or terminated or shall expire or shall be reduced or materially changed, or Landlord shall receive a notice of nonrenewal of any such insurance and Tenant shall fail to obtain replacement insurance within 20 days of notice from Landlord to renew the same.
(c) Abandonment. Tenant shall abandon the Premises by vacating the Premises and failing to secure and maintain the Premises as required herein.
| 28 |
(d) Improper Transfer. Tenant shall assign, sublease or otherwise transfer or attempt to transfer all or any portion of Tenant's interest in this Lease or the Premises except as expressly permitted herein, or Tenant's interest in this Lease shall be attached, executed upon, or otherwise judicially seized and such action is not released within 90 days of the action.
(e) Liens. Tenant shall fail to discharge or otherwise obtain the release of any lien placed upon the Premises in violation of this Lease within 30 days after Tenant receives notice that any such lien is filed against the Premises.
(f) Insolvency Events. Tenant or any guarantor or surety of Tenant's obligations hereunder shall: (A) make a general assignment for the benefit of creditors; (B) commence any case, proceeding or other action seeking to have an order for relief entered on its behalf as a debtor or to adjudicate it a bankrupt or insolvent, or seeking reorganization, arrangement, adjustment, liquidation, dissolution or composition of it or its debts or seeking appointment of a receiver, trustee, custodian or other similar official for it or for all or of any substantial part of its property (collectively a “Proceeding for Relief”); (C) become the subject of any Proceeding for Relief which is not dismissed within 90 days of its filing or entry; or (D) die or suffer a legal disability (if Tenant, guarantor, or surety is an individual) or be dissolved or otherwise fail to maintain its legal existence (if Tenant, guarantor or surety is a corporation, partnership or other entity).
(g) Estoppel Certificate or Subordination Agreement. Tenant fails to execute any document required from Tenant under Sections 23 or 27 within 7 days after a second notice requesting such document.
(h) Other Defaults. Tenant shall fail to comply with any provision of this Lease other than those specifically referred to in this Section 20, and, except as otherwise expressly provided herein, such failure shall continue for a period of 10 business days after written notice thereof from Landlord to Tenant.
Any notice given under Section 20(h) hereof shall: (i) specify the alleged default, (ii) demand that Tenant cure such default, (iii) be in lieu of, and not in addition to, or shall be deemed to be, any notice required under any provision of applicable law, and (iv) not be deemed a forfeiture or a termination of this Lease unless Landlord elects otherwise in such notice; provided that if the nature of Tenant's default pursuant to Section 20(h) is such that it cannot be cured by the payment of money and reasonably requires more than 10 business days to cure, then Tenant shall not be deemed to be in default if Tenant commences such cure within said 10 business day period and thereafter diligently prosecutes the same to completion; provided, however, that such cure shall be completed no later than 60 days from the date of Landlord's notice.
21. Landlord's Remedies.
(a) Payment By Landlord; Interest. Upon a Default by Tenant hereunder, Landlord may, without waiving or releasing any obligation of Tenant hereunder, make such payment or perform such act. All sums so paid or incurred by Landlord, together with interest thereon, from the date such sums were paid or incurred, at the annual rate equal to 12% per annum or the highest rate permitted by law (the "Default Rate"), whichever is less, shall be payable to Landlord on demand as Additional Rent. Nothing herein shall be construed to create or impose a duty on Landlord to mitigate any damages resulting from Tenant's Default hereunder.
| 29 |
(b) Late Payment Rent. Late payment by Tenant to Landlord of Rent and other sums due will cause Landlord to incur costs not contemplated by this Lease, the exact amount of which will be extremely difficult and impracticable to ascertain. Such costs include, but are not limited to, processing and accounting charges and late charges which may be imposed on Landlord under any Mortgage covering the Premises. Therefore, if any installment of Rent due from Tenant is not received by Landlord within 5 days after the date such payment is due, Tenant shall pay to Landlord an additional sum equal to 6% of the overdue Rent as a late charge. The parties agree that this late charge represents a fair and reasonable estimate of the costs Landlord will incur by reason of late payment by Tenant. In addition to the late charge, Rent not paid when due shall bear interest at the Default Rate from the 5th day after the date due until paid. Notwithstanding the preceding provisions of this Section, for the first overdue payment in any twelve (12) month period, there shall be no late charge or interest unless Tenant shall have failed to make such overdue payment within five (5) days after receiving written notice of such failure from Landlord.
(c) Remedies. Upon the occurrence of a Default, Landlord, at its option, without further notice or demand to Tenant, shall have in addition to all other rights and remedies provided in this Lease, at law or in equity, the option to pursue any one or more of the following remedies, each and all of which shall be cumulative and nonexclusive, without any notice or demand whatsoever:
(i) Terminate this Lease, or at Landlord's option, Tenant's right to possession only, in which event Tenant shall immediately surrender the Premises to Landlord, and if Tenant fails to do so, Landlord may, without prejudice to any other remedy which it may have for possession or arrearages in rent, enter upon and take possession of the Premises and expel or remove Tenant and any other person who may be occupying the Premises or any part thereof, without being liable for prosecution or any claim or damages therefor;
(ii) Upon any termination of this Lease, whether pursuant to the foregoing Section 21(c)(i) or otherwise, Landlord may recover from Tenant the following:
(A) The worth at the time of award of any unpaid rent which has been earned at the time of such termination; plus
(B) The worth at the time of award of the amount by which the unpaid rent which would have been earned after termination until the time of award exceeds the amount of such rental loss that Tenant proves could have been reasonably avoided (it being agreed that Tenant shall be notified and provided a reasonable opportunity to offer such proof); plus
(C) The worth at the time of award of the amount by which the unpaid rent for the balance of the Term after the time of award exceeds the amount of such rental loss that Tenant proves could have been reasonably avoided; plus
| 30 |
(D) Any other amount necessary to compensate Landlord for all the detriment incurred by Landlord due to Tenant's failure to perform its obligations under this Lease, specifically including, but not limited to, brokerage commissions and advertising expenses incurred, expenses of remodeling the Premises or any portion thereof for a new tenant, whether for the same or a different use, and any special concessions made to obtain a new tenant; and
(E) At Landlord's election, such other amounts in addition to or in lieu of the foregoing as may be permitted from time to time by applicable law.
The term "rent" as used in this Section 21 shall be deemed to be and to mean all sums of every nature required to be paid by Tenant pursuant to the terms of this Lease, whether to Landlord or to others. As used in Sections 21(c)(ii) (A) and (B), above, the "worth at the time of award" shall be computed by allowing interest at the Default Rate. As used in Section 21(c)(ii)(C) above, the "worth at the time of award" shall be computed by discounting such amount at the discount rate of the Federal Reserve Bank of Boston at the time of award plus 1%.
(iii) Landlord may continue this Lease in effect after Tenant's Default and recover rent as it becomes due (Landlord and Tenant hereby agreeing that Tenant has the right to sublet or assign hereunder, subject only to reasonable limitations). Accordingly, if Landlord does not elect to terminate this Lease following a Default by Tenant, Landlord may, from time to time, without terminating this Lease, enforce all of its rights and remedies hereunder, including the right to recover all Rent as it becomes due.
(iv) Whether or not Landlord elects to terminate this Lease following a Default by Tenant, Landlord shall have the right to terminate any and all subleases, licenses, concessions or other consensual arrangements for possession entered into by Tenant and affecting the Premises or may, in Landlord's sole discretion, succeed to Tenant's interest in such subleases, licenses, concessions or arrangements. Upon Landlord's election to succeed to Tenant's interest in any such subleases, licenses, concessions or arrangements, Tenant shall, as of the date of notice by Landlord of such election, have no further right to or interest in the rent or other consideration receivable thereunder.
(v) Independent of the exercise of any other remedy of Landlord hereunder or under applicable law, Landlord may conduct an environmental test of the Premises as generally described in Section 30(d) hereof, at Tenant's expense.
| 31 |
(d) Effect of Exercise. Exercise by Landlord of any remedies hereunder or otherwise available shall not be deemed to be an acceptance of surrender of the Premises and/or a termination of this Lease by Landlord, it being understood that such surrender and/or termination can be effected only by the express written agreement of Landlord and Tenant. Any law, usage, or custom to the contrary notwithstanding, Landlord shall have the right at all times to enforce the provisions of this Lease in strict accordance with the terms hereof; and the failure of Landlord at any time to enforce its rights under this Lease strictly in accordance with same shall not be construed as having created a custom in any way or manner contrary to the specific terms, provisions, and covenants of this Lease or as having modified the same and shall not be deemed a waiver of Landlord's right to enforce one or more of its rights in connection with any subsequent default. A receipt by Landlord of Rent or other payment with knowledge of the breach of any covenant hereof shall not be deemed a waiver of such breach, and no waiver by Landlord of any provision of this Lease shall be deemed to have been made unless expressed in writing and signed by Landlord. To the greatest extent permitted by law, Tenant waives the service of notice of Landlord's intention to re-enter, re-take or otherwise obtain possession of the Premises as provided in any statute, or to institute legal proceedings to that end, and also waives all right of redemption in case Tenant shall be dispossessed by a judgment or by warrant of any court or judge. Any reletting of the Premises or any portion thereof shall be on such terms and conditions as Landlord in its sole discretion may determine. Landlord shall not be liable for, nor shall Tenant's obligations hereunder be diminished because of, Landlord's failure to relet the Premises or collect rent due in respect of such reletting or otherwise to mitigate any damages arising by reason of Tenant's Default.
22. Assignment and Subletting.
(a) General Prohibition. Without Landlord's prior written consent subject to and on the conditions described in this Section 22, Tenant shall not, directly or indirectly, voluntarily or by operation of law, assign this Lease or sublease the Premises or any part thereof or mortgage, pledge, or hypothecate its leasehold interest or grant any concession or license within the Premises, and any attempt to do any of the foregoing shall be void and of no effect. If Tenant is a corporation, partnership or limited liability company, the shares or other ownership interests thereof which are not actively traded upon a stock exchange or in the over-the-counter market, a transfer or series of transfers whereby 50% or more of the issued and outstanding shares or other ownership interests of such corporation are, or voting control is, transferred (but excepting transfers upon deaths of individual owners) from a person or persons or entity or entities which were owners thereof on the Effective Date to persons or entities who were not owners of shares or other ownership interests of the corporation, partnership or limited liability company on the Effective Date, shall be deemed an assignment of this Lease requiring the consent of Landlord as provided in this Section 22.
(b) Permitted Transfers. If Tenant desires to assign, sublease, hypothecate or otherwise transfer this Lease or sublet the Premises, then at least 10 business days but not more than 45 business days, before the date Tenant desires the assignment or sublease to be effective (the "Assignment Date"), Tenant shall give Landlord a notice (the "Assignment Notice") containing such information about the proposed assignee or sublessee, including the proposed use of the Premises and any Hazardous Materials proposed to be used, stored handled, treated, generated in or released or disposed of from the Premises, the Assignment Date, any relationship between Tenant and the proposed assignee or sublessee, and all material terms and conditions of the proposed assignment or sublease, including a copy of any proposed assignment or sublease in its final form, and such other information as Landlord may deem reasonably necessary or appropriate to its consideration whether to grant its consent. Landlord may, by giving written notice to Tenant within 15 business days after receipt of the Assignment Notice: (i) grant such consent, which shall not be unreasonably withheld, conditioned or delayed, (ii) refuse such consent, in its reasonable discretion, or (iv) terminate this Lease with respect to the space described in the Assignment Notice as of the Assignment Date (an "Assignment Termination"). Any proposed assignee or sublessee, with respect to any research and development laboratory use, will use the Premises for a scientific use consistent with a Science Plan (i.e., a brief description of the scientific uses to be made of the research and development space) approved for its proposed use of the Premises, which approval Landlord shall be in Landlord’s reasonable discretion. If Landlord delivers notice of its election to exercise an Assignment Termination, which must be given (if at all) within 10 business days of Landlord’s receipt of the Assignment Notice, Tenant shall have the right to withdraw such Assignment Notice by written notice to Landlord of such election within 5 business days after Landlord's notice electing to exercise the Assignment Termination. If Tenant withdraws such Assignment Notice, this Lease shall continue in full force and effect. If Tenant does not withdraw such Assignment Notice, this Lease, and the term and estate herein granted, shall terminate as of the Assignment Date with respect to the space described in such Assignment Notice. No failure of Landlord to exercise any such option to terminate this Lease, or to deliver a timely notice in response to the Assignment Notice, shall be deemed to be Landlord's consent to the proposed assignment, sublease or other transfer. Tenant shall pay to Landlord a fee equal to One Thousand Five Hundred Dollars ($1,500) in connection with its consideration of any Assignment Notice and/or its preparation or review of any consent documents.
| 32 |
(i) Notwithstanding the preceding provisions of this Section 22(b), Tenant shall have the right to assign the Lease or sublet the Premises, or any part thereof, without Landlord’s consent, but subject to Landlord’s rights to notice and prohibition contained herein, to any parent, subsidiary, affiliate or controlled corporation or to corporation which Tenant may be converted or with which Tenant may merge (each a “Permitted Assignment”) provided such transferee has a net worth equal to or greater than that of Tenant immediately prior to such transfer and such transferee agrees to be bound under the terms of this Lease. Tenant shall in any event provide prior written notice to Landlord of Tenant’s intent to undertake a Permitted Assignment, the identity of the assignee or sublessee, as applicable, and financial information for the proposed transferee and the Tenant dated within thirty (30) days of the submission that is reasonably satisfactory to Landlord.
(c) Additional Conditions. As a condition to any such assignment or subletting, whether or not Landlord's consent is required, Landlord may require:
(i) that any assignee or subtenant agree, in writing at the time of such assignment or subletting, that if Landlord gives such party notice that Tenant is in default under this Lease, such party shall thereafter make all payments otherwise due Tenant directly to Landlord, which payments will be received by Landlord without any liability except to credit such payment against those due under the Lease, and any such third party shall agree to attorn to Landlord or its successors and assigns should this Lease be terminated for any reason; provided, however, in no event shall Landlord or its successors or assigns be obligated to accept such attornment; and
(ii) A list of Hazardous Materials, certified by the proposed assignee or sublessee to be true and correct, which the proposed assignee or sublessee intends to use, store, handle, treat, generate in or release or dispose of from the Premises, together with copies of all documents relating to such use, storage, handling, treatment, generation, release or disposal of Hazardous Materials by the proposed assignee or subtenant in the Premises or on the Property, prior to the proposed assignment or subletting, including, without limitation: permits; approvals; reports and correspondence; storage and management plans; plans relating to the installation of any storage tanks to be installed in or under the Property (provided, said installation of tanks shall only be permitted after Landlord has given its written consent to do so, which consent may be withheld in Landlord's sole and absolute discretion); and all closure plans or any other documents required by any and all federal, state and local Governmental Authorities for any storage tanks installed in, on or under the Property for the closure of any such tanks. Neither Tenant nor any such proposed assignee or subtenant is required, however, to provide Landlord with any portion(s) of the such documents containing information of a proprietary nature which, in and of themselves, do not contain a reference to any Hazardous Materials or hazardous activities.
| 33 |
(d) No Release of Tenant, Sharing of Excess Rents. Notwithstanding any assignment or subletting, Tenant and any guarantor or surety of Tenant's obligations under this Lease shall at all times remain full and primarily responsible and liable for the payment of Rent and for compliance with all of Tenant's other obligations under this Lease. If the Rent due and payable by a sublessee or assignee (or a combination of the rental payable under such sublease or assignment plus any bonus or other consideration therefore or incident thereto in any form) less the reasonable expenses of Tenant in assigning or subletting (including broker commissions, improvement allowances and other concessions, renovation expenses and legal fees, each as incurred by Tenant and amortized over the remaining term of this Lease with respect to an assignment or over the term of the sublease with respect to a sublease), exceeds the rental payable under this Lease, (excluding however, any Rent payable under this Section) ("Excess Rent"), then Tenant shall be bound and obligated to pay Landlord as Additional Rent hereunder 50% of such Excess Rent within 10 days following receipt thereof by Tenant. If Tenant shall sublet the Premises or any part thereof, Tenant hereby immediately and irrevocably assigns to Landlord, as security for Tenant's obligations under this Lease, all rent from any such subletting, and Landlord as assignee and as attorney-in-fact for Tenant, or a receiver for Tenant appointed on Landlord's application, may collect such rent and apply it toward Tenant's obligations under this Lease; except that, until the occurrence of a Default, Tenant shall have the right to collect such rent.
(e) No Waiver. The consent by Landlord to an assignment or subletting shall not relieve Tenant or any assignees of this Lease or any sublessees of the Premises from obtaining the consent of Landlord to any further assignment or subletting nor shall it release Tenant or any assignee or sublessee of Tenant from full and primary liability under the Lease. The acceptance of Rent hereunder, or the acceptance of performance of any other term, covenant, or condition thereof, from any other person or entity shall not be deemed to be a waiver of any of the provisions of this Lease or a consent to any subletting, assignment or other transfer of the Premises.
(f) Prior Conduct of Proposed Transferee. Notwithstanding any other provision of this Section 22, if (i) the proposed assignee or sublessee of Tenant has been required by any prior landlord, lender or Governmental Authority to take remedial action in connection with Hazardous Materials contaminating a property, where the contamination resulted from such party's action or use of the property in question, (ii) the proposed assignee or sublessee is subject to an enforcement order issued by any Governmental Authority in connection with the use, storage, handling, treatment, generation, release or disposal of Hazardous Materials (including, without limitation, any order related to the failure to make a required reporting to any Governmental Authority), or (iii) because of the existence of a pre-existing environmental condition in the vicinity of or underlying the Property, the risk that Landlord would be targeted as a responsible party in connection with the remediation of such pre-existing environmental condition would be materially increased or exacerbated by the proposed use of Hazardous Materials by such proposed assignee or sublessee, Landlord shall have the absolute right to refuse to consent to any assignment or subletting to any such party.
| 34 |
23. Estoppel Certificate. Tenant shall, within 10 business days of written notice from Landlord, execute, acknowledge and deliver a statement in writing in any form reasonably requested by a proposed lender or purchaser, (i) certifying that this Lease is unmodified and in full force and effect (or, if modified, stating the nature of such modification and certifying that this Lease as so modified is in full force and effect) and the dates to which the rental and other charges are paid in advance, if any, (ii) acknowledging that there are not any uncured defaults on the part of Landlord hereunder, or specifying such defaults if any are claimed, and (iii) setting forth such further information with respect to the status of this Lease or the Premises as may be reasonably requested thereon. Any such statement may be relied upon by any prospective purchaser or encumbrancer of all or any portion of the real property of which the Premises are a part. If Tenant shall fail to deliver such statement within such time, Landlord may, at its option, send a second notice to Tenant with the same statement, which notice also shall provide in large bold type THIS IS THE SECOND NOTICE REQUESTING AN ESTOPPEL CERTIFICATE PURSUANT TO SECTION 23 OF THE LEASE; ANY FAILURE TO RESPOND IN SEVEN DAYS SHALL BE A DEFAULT UNDER THE LEASE, and if such 7 day period shall elapse after Tenant’s receipt of the second notice with no executed statement from Tenant, then at the option of Landlord, such shall constitute a Default under this Lease, and, in any event, shall be conclusive upon Tenant that this Lease is in full force and effect and without modification except as may be represented by Landlord in any certificate prepared by Landlord and delivered to Tenant for execution.
24. Quiet Enjoyment. So long as Tenant is not in Default under this Lease, Tenant shall, subject to the terms of this Lease, at all times during the Term, have peaceful and quiet enjoyment of the Premises against any person claiming by, through or under Landlord.
25. Prorations. All prorations required or permitted to be made hereunder shall be made on the basis of a 360 day year and 30 day months.
26. Rules and Regulations. Tenant shall, at all times during the Term and any extension thereof, comply with all reasonable rules and regulations at any time or from time to time established by Landlord covering use of the Premises and the Property. The current rules and regulations are attached hereto as Exhibit D. If there is any conflict between said rules and regulations and other provisions of this Lease, the terms and provisions of this Lease shall control. Landlord shall not have any liability or obligation for the breach of any rules or regulations by other tenants in the Property. Landlord shall not enforce such rules and regulations in a discriminatory manner among tenants in the Building.
| 35 |
27. Subordination. This Lease and Tenant's interest and rights hereunder are hereby made and shall be subject and subordinate at all times to the lien of any Mortgage now existing or hereafter created on or against the Property or the Premises, and all amendments, restatements, renewals, modifications, consolidations, refinancing, assignments and extensions thereof, without the necessity of any further instrument or act on the part of Tenant; provided, however that so long as there is no Default hereunder, Tenant's right to possession of the Premises shall not be disturbed by the Holder of any such Mortgage. Tenant agrees, at the election of the Holder of any such Mortgage, to attorn to any such Holder. Tenant agrees upon demand to execute, acknowledge and deliver such instruments, confirming such subordination, and such instruments of attornment as shall be requested by any such Holder, provided any such instruments shall contain appropriate non-disturbance provisions assuring Tenant's quiet enjoyment of the Premises as set forth in Section 24 hereof and shall not vary the terms of this Section 27. Notwithstanding the foregoing, any such Holder may at any time subordinate its Mortgage to this Lease, without Tenant's consent, by notice in writing to Tenant, and thereupon this Lease shall be deemed prior to such Mortgage without regard to their respective dates of execution, delivery or recording and in that event such Holder shall have the same rights with respect to this Lease as though this Lease had been executed prior to the execution, delivery and recording of such Mortgage and had been assigned to such Holder. The term "Mortgage" whenever used in this Lease shall be deemed to include deeds of trust, security assignments and any other encumbrances, and any reference to the "Holder" of a Mortgage shall be deemed to include the beneficiary under a deed of trust.
28. Surrender. Upon the expiration of the Term or earlier termination of Tenant's right of possession, Tenant shall surrender the Premises to Landlord (i) in the same condition as received, subject to leaving in place the Tenant’s Work (except to the extent that Tenant requested a determination by Landlord as to such removal with Landlord’s approval of Tenant’s Work and Landlord has identified in writing in its approval(s) of Tenant’s Work any items that are not comparable to improvements for lab space in the Worcester market, any of such items to be removed by Tenant under this Section) and any Installations for which removal is not required pursuant to Section 12 above, (ii) free of Hazardous Materials brought upon, kept, used, stored, handled, treated, generated in, or released or disposed of from, the Premises by any person other than a Landlord Party (collectively, "Tenant HazMat Operations") and released of all Hazardous Materials Clearances, (iii) broom clean, ordinary wear and tear and casualty loss and condemnation covered by Sections 18 and 19 excepted. At least 3 months prior to the surrender of the Premises, Tenant shall deliver to Landlord a narrative description of the actions proposed (or required by any Governmental Authority) to be taken by Tenant in order to surrender the Premises (including any Installations permitted by Landlord to remain in the Premises) at the expiration or earlier termination of the Term, free from any residual impact from the Tenant HazMat Operations and otherwise released for unrestricted use and occupancy (the "Surrender Plan"). Such Surrender Plan shall be in a format and with the amount of detail as reasonably required by Landlord by form provided by Landlord and attached at Exhibit F and accompanied by a current listing of (i) all Hazardous Materials licenses and permits held by or on behalf of any Tenant Party with respect to the Premises, and (ii) all Hazardous Materials used, stored, handled, treated, generated, released or disposed of from the Premises, and shall be subject to the review and approval of Landlord's environmental consultant. In connection with the review and approval of the Surrender Plan, upon the request of Landlord, Tenant shall deliver to Landlord or its consultant such additional non-proprietary information concerning Tenant HazMat Operations as Landlord shall request. On or before such surrender, Tenant shall deliver to Landlord evidence that the approved Surrender Plan shall have been satisfactorily completed and Landlord shall have the right, subject to reimbursement at Tenant's expense as set forth below, to cause Landlord's environmental consultant to inspect the Premises and perform such additional procedures as may be deemed reasonably necessary to confirm that the Premises are, as of the effective date of such surrender or early termination of the Lease, free from any residual impact from Tenant HazMat Operations. Tenant shall reimburse Landlord, as Additional Rent, for the actual out-of pocket expense incurred by Landlord for Landlord's environmental consultant to review and approve the Surrender Plan and to visit the Premises and verify satisfactory completion of the same, which cost shall not exceed $5,000. Landlord shall have the unrestricted right to deliver such Surrender Plan and any report by Landlord's environmental consultant with respect to the surrender of the Premises to third parties. Provided Tenant’s Work is reasonably standard and comparable to improvements for lab space in the Worcester market, Landlord shall not require Tenant to remove Tenant’s Work performed with respect to initial occupancy at the expiration or earlier termination of the Term.
| 36 |
If Tenant shall fail to prepare or submit a Surrender Plan approved by Landlord, or if Tenant shall fail to complete the approved Surrender Plan, or if such Surrender Plan, whether or not approved by Landlord, shall fail to adequately address any residual effect of Tenant HazMat Operations in, on or about the Premises, Landlord shall have the right to take such actions as Landlord may deem reasonable or appropriate to assure that the Premises and the Property are surrendered free from any residual impact from Tenant HazMat Operations, the cost of which actions shall be reimbursed by Tenant as Additional Rent, without regard to the limitation set forth in the first paragraph of this Section 28.
Tenant shall immediately return to Landlord all keys and/or access cards to parking, the Property, restrooms or all or any portion of the Premises furnished to or otherwise procured by Tenant. If any such access card or key provided to Tenant by Landlord is lost, Tenant shall pay to Landlord, at Landlord's election, either the cost of replacing such lost access card or key or the cost of reprogramming the access security system in which such access card was used or changing the lock or locks opened by such lost key. Any Tenant's Property, Alterations and property not so removed by Tenant as permitted or required herein shall be deemed abandoned and, to the extent Tenant was required to remove the same from the Premises under this Lease, may be stored, removed, and disposed of by Landlord at Tenant's expense, and Tenant waives all claims against Landlord for any damages resulting from Landlord's retention and/or disposition of such property. All obligations of Tenant hereunder not fully performed as of the termination of the Term, including the obligations of Tenant under Section 30 hereof, shall survive the expiration or earlier termination of the Term, including, without limitation, indemnity obligations, payment obligations with respect to Rent and obligations concerning the condition and repair of the Premises.
29. Waiver of Jury Trial. TO THE EXTENT PERMITTED BY LAW, TENANT AND LANDLORD WAIVE ANY RIGHT TO TRIAL BY JURY OR TO HAVE A JURY PARTICIPATE IN RESOLVING ANY DISPUTE, WHETHER SOUNDING IN CONTRACT, TORT, OR OTHERWISE, BETWEEN LANDLORD AND TENANT ARISING OUT OF THIS LEASE OR ANY OTHER INSTRUMENT, DOCUMENT, OR AGREEMENT EXECUTED OR DELIVERED IN CONNECTION HEREWITH OR THE TRANSACTIONS RELATED HERETO.
| 37 |
30. Environmental Requirements.
(a) Prohibition/Compliance/Indemnity. Tenant shall not cause or permit any Hazardous Materials (as hereinafter defined) to be brought upon, kept, used, stored, handled, treated, generated in or about, or released or disposed of from, the Premises or the Property in violation of applicable Environmental Requirements (as hereinafter defined) by Tenant or any Tenant Party. If Tenant breaches the obligation stated in the preceding sentence, or if the presence of Hazardous Materials in the Premises during the Term or any holding over results in contamination of the Premises, the Property or any adjacent property or if contamination of the Premises, the Property or any adjacent property by Hazardous Materials brought into, kept, used, stored, handled, treated, generated in or about, or released or disposed of from, the Premises by anyone other than Landlord and Landlord's employees, agents and contractors otherwise occurs during the Term or any holding over, Tenant hereby indemnifies and shall defend and hold Landlord, its officers, directors, employees, agents and contractors harmless from any and all actions (including, without limitation, remedial or enforcement actions of any kind, administrative or judicial proceedings, and orders or judgments arising out of or resulting therefrom), costs, claims, damages (including, without limitation, punitive damages and damages based upon diminution in value of the Premises or the Property, or the loss of, or restriction on, use of the Premises or any portion of the Property), expenses (including, without limitation, attorneys', consultants' and experts' fees, court costs and amounts paid in settlement of any claims or actions), fines, forfeitures or other civil, administrative or criminal penalties, injunctive or other relief (whether or not based upon personal injury, property damage, or contamination of, or adverse effects upon, the environment, water tables or natural resources), liabilities or losses (collectively, "Environmental Claims") to the extent that the same are caused by a breach of the aforesaid obligation of Tenant, whether such Environmental Claims arise during or after the Term. This indemnification of Landlord by Tenant includes, without limitation, costs incurred in connection with any investigation of site conditions or any cleanup, treatment, remedial, removal, or restoration work required by any federal, state or local Governmental Authority because of Hazardous Materials present in the air, soil or ground water above, on, or under the Premises. Without limiting the foregoing, if the presence of any Hazardous Materials on the Premises, the Property or any adjacent property caused or permitted by Tenant or any Tenant Party, results in any contamination of the Premises, the Property or any adjacent property, Tenant shall promptly take all actions at its sole expense and in accordance with applicable Environmental Requirements as are necessary to return the affected portion(s) of the Premises, the Property or any adjacent property to the condition existing prior to the time of such contamination, provided that Landlord's approval of such action shall first be obtained, which approval shall not unreasonably be withheld so long as such actions would not potentially have any material adverse long-term or short-term effect on the Premises or the Property. Notwithstanding any provisions of this Section 30 or otherwise in this Lease to the contrary, Tenant shall not have or incur no liability under this Section 30 because of the existence of an environmental condition in the vicinity of or underlying the Property dating prior to Tenant being granted possession of the Premises (a “Prior Environmental Condition”), or because of any risk that Landlord or Tenant would be targeted as a responsible party in connection with the remediation of any such Prior Environmental Condition at the Property.
| 38 |
(b) Business. Landlord acknowledges that it is not the intent of this Section 30, nor shall this Section be interpreted or applied so as, to prohibit, restrict or impair Tenant’s use of the Premises for the Permitted Use. Tenant may operate its business according to prudent industry practices so long as the use or presence of Hazardous Materials is strictly and properly monitored according to all then applicable Environmental Requirements. As a material inducement to Landlord to allow Tenant to use Hazardous Materials in connection with its business, Tenant has provided the list attached hereto as Exhibit I identifying each type of Hazardous Materials that Tenant reasonably anticipates will be brought upon, kept, used, stored, handled, treated, generated on, or released or disposed of from, the Premises and setting forth any and all governmental approvals or permits required in connection with the presence, use, storage, handling, treatment, generation, release or disposal of such Hazardous Materials on or from the Premises ("Hazardous Materials List"). Tenant shall deliver to Landlord an updated Hazardous Materials List at least once a year and shall also deliver an updated list before any new Hazardous Material is brought onto, kept, used, stored, handled, treated, generated on, or released or disposed of from, the Premises. Tenant shall deliver to Landlord true and correct copies of the following documents (the "Haz Mat Documents") relating to the use, storage, handling, treatment, generation, release or disposal of Hazardous Materials prior to the Commencement Date, or if unavailable at that time, concurrent with the receipt from or submission to a Governmental Authority: permits; approvals; reports, and correspondence to and from a Governmental Authority; storage and management plans, notice of violations of any Legal Requirements; and the following only in the event that Tenant installs any storage tanks in or under the Property (provided, said installation of tanks shall only be permitted after Landlord has given Tenant its written consent to do so, which consent may be withheld in Landlord's sole and absolute discretion): (x) plans relating to the installation of any such storage tanks to be installed in or under the Property; and (y) all closure plans or any other documents, which Tenant is required to deliver to any and all federal, state and local Governmental Authorities for any storage tanks installed in, on or under the Property for the closure of any such tanks; and a Surrender Plan (to the extent surrender in accordance with Section 28 cannot be accomplished in 3 months). Tenant is not, and shall not be, required to provide Landlord with any portion(s) of the Haz Mat Documents containing information of a confidential or proprietary nature which, in and of themselves, do not contain a reference to any Hazardous Materials or hazardous activities. It is not the intent of this Section to obligate Tenant to provide Landlord with information which could be detrimental to Tenant's business should such information become possessed by Tenant's competitors. On request, Landlord will execute and deliver to Tenant a confidentiality agreement covering disclosures from Tenant to Landlord under this Section 30.
(c) Tenant Representation and Warranty. Tenant hereby represents and warrants to Landlord that (i) neither Tenant nor any of its legal predecessors has been required by any prior landlord, lender or Governmental Authority at any time to take remedial action in connection with Hazardous Materials contaminating a property which contamination was permitted by Tenant of such predecessor or resulted from Tenant's or such predecessor's action or use of the property in question, and (ii) Tenant is not subject to any enforcement order issued by any Governmental Authority in connection with the use, storage, handling, treatment, generation, release or disposal of Hazardous Materials (including, without limitation, any order related to the failure to make a required reporting to any Governmental Authority). If Landlord determines that this representation and warranty was not true as of the Effective Date, Landlord shall have the right to terminate this Lease in Landlord's sole and absolute discretion by notice to Tenant. To the best knowledge of Tenant, Mustang Therapeutics, Inc., is the only legal predecessor to Tenant.
| 39 |
(d) Testing. At any time, and from time to time, prior to the expiration or earlier termination of the Term, Landlord shall have the right to conduct appropriate tests of the Premises and the Property to determine if contamination has occurred as a result of Tenant's use of the Premises. If needed in connection with such testing, upon the request of Landlord, Tenant shall deliver to Landlord or its consultant such non-proprietary information concerning the use of Hazardous Materials in or about the Premises by Tenant or any Tenant Party. If the final written report of such testing confirms that contamination has occurred for which Tenant is liable under this Section 30 (i.e., which is not a Prior Environmental Condition), then Tenant shall pay all costs to conduct such tests, but in all other cases, Landlord shall pay the costs of such tests (which shall not constitute an Operating Expense). Landlord shall provide Tenant with a copy of all third party, non-confidential reports and tests of the Premises made by or on behalf of Landlord during the Term without representation or warranty and subject to a confidentiality agreement. Tenant shall, at its sole cost and expense, promptly and satisfactorily remediate, in accordance with all Environmental Requirements, any environmental conditions identified by such testing, other than, and except to the extent arising from, Prior Environmental Conditions. Landlord's receipt of or satisfaction with any environmental assessment in no way waives any rights which Landlord may have against Tenant.
(e) Control Areas. Tenant shall be allowed to utilize up to its “pro rata share” (as herein defined) of the Hazardous Materials inventory within any control area or zone (located within the Premises), as designated by the applicable building code, for chemical use or storage. As used in the preceding sentence, Tenant's pro rata share of any control areas or zones located within the Premises shall be determined based on the rentable square footage that Tenant leases within the applicable control area or zone. For purposes of example only, if a control area or zone contains 10,000 rentable square feet and 2,000 rentable square feet of a tenant's premises are located within such control area or zone (while such premises as a whole contains 5,000 rentable square feet), the applicable tenant's pro rata share of such control area would be 20%. The first floor of the Building will constitute one control zone. The maximum quantity permitted in a control zone shall be determined by the standards set forth in the International Building Code and International Fire Code and varies for each floor of a building. The currently permitted quantity for the first floor of the Building is 480 gallons for Class 1B flammable liquids. If additional control zones are required due to excess inventory or different types of flammables, Tenant may request Landlord approval of work necessary to the Building to permit such additional control zones, which approval shall be granted or denied in Landlord’s sole discretion and Tenant shall be responsible for all costs of such necessary work associated with construction and code compliance.
(f) Underground Tanks. If underground or other storage tanks storing Hazardous Materials located on the Premises or the Property are used by Tenant or are hereafter placed on the Premises or the Property by Tenant, Tenant shall install, use, monitor, operate, maintain, upgrade and manage such storage tanks, maintain appropriate records, obtain and maintain appropriate insurance, implement reporting procedures, properly close any underground storage tanks, and take or cause to be taken all other actions necessary or required under applicable state and federal Legal Requirements, as such now exists or may hereafter be adopted or amended in connection with Tenant’s installation, use, maintenance, management, operation, upgrading and closure of such storage tanks. Notwithstanding the preceding terms of this paragraph, and other than storage tanks installed by or on behalf of Tenant within the Premises, Tenant shall not be responsible for assuring compliance with Legal Requirements of any storage tanks on the Property, but not the Premises by parties other than Tenant or Tenant Related Parties.
| 40 |
(g) Tenant's Obligations. Tenant's obligations under this Section 30 shall survive the expiration or earlier termination of this Lease. During any period of time after the expiration or earlier termination of this Lease required by Tenant (or Landlord after failure of Tenant to do so) to complete the removal from the Premises of any Hazardous Materials (including, without limitation, the release and termination of any licenses or permits restricting the use of the Premises and the completion of Tenant’s obligations under Section 28), which Tenant is obligated to remove by the terms of this Lease, Tenant shall continue to be responsible for Rent in accordance with this Lease.
(h) Definitions. As used herein, the term "Environmental Requirements" means all applicable present and future statutes, regulations, ordinances, rules, codes, judgments, orders or other similar enactments of any Governmental Authority regulating or relating to health, safety, or environmental conditions on, under, or about the Premises or the Property, or the environment, including without limitation, the following: the Comprehensive Environmental Response, Compensation and Liability Act; the Resource Conservation and Recovery Act; and all state and local counterparts thereto, and any regulations or policies promulgated or issued thereunder. As used herein, the term "Hazardous Materials" means and includes any substance, material, waste, pollutant, or contaminant listed or defined as hazardous or toxic, or regulated by reason of its impact or potential impact on humans, animals and/or the environment under any Environmental Requirements, asbestos and petroleum, including crude oil or any fraction thereof, natural gas liquids, liquefied natural gas, or synthetic gas usable for fuel (or mixtures of natural gas and such synthetic gas). As defined in Environmental Requirements, Tenant is and shall be deemed to be the "operator" of Tenant's "facility" and the "owner" of all Hazardous Materials brought on the Premises by Tenant or any Tenant Party, and the wastes, by-products, or residues generated, resulting, or produced therefrom.
31. Tenant's Remedies/Limitation of Liability. Landlord shall not be in default hereunder unless Landlord fails to perform any of its obligations hereunder within 30 days after written notice from Tenant specifying such failure (unless such performance will, due to the nature of the obligation, require a period of time in excess of 30 days, then after such period of time as is reasonably necessary). Upon any default by Landlord, Tenant shall give notice by registered or certified mail to any Holder of a Mortgage covering the Premises Tenant shall offer such Holder and/or Landlord a reasonable opportunity to cure the default, including time to obtain possession of the Property by power of sale or a judicial action if such should prove necessary to effect a cure; provided Landlord shall have furnished to Tenant in writing the names and addresses of all such persons who are to receive such notices. All obligations of Landlord hereunder shall be construed as covenants, not conditions; and, except as may be otherwise expressly provided in this Lease, Tenant may not terminate this Lease for breach of Landlord's obligations hereunder.
| 41 |
All obligations of Landlord under this Lease will be binding upon Landlord only during the period of its ownership of the Premises and not thereafter, except insofar as Landlord may fail to transfer the Security Deposit to any successor Landlord under this Lease. Except as provided in the previous sentence, the term "Landlord" in this Lease shall mean only the owner for the time being of the Premises. Upon the transfer by such owner to its proper successor under this Lease of the Security Deposit and its interest in the Premises, such owner shall thereupon be released and discharged from all obligations of Landlord thereafter accruing, but such obligations shall be binding during the Term upon each new owner for the duration of such owner's ownership.
32. Inspection and Access. Landlord and its agents, representatives, contractors and guests may enter the Premises, subject to the terms of this Section, during Business Hours on not less than 24 hours advance written notice (except in the case of emergencies in which case no such notice shall be required and such entry may be at any time) for the purpose of (i) inspecting the Premises, (ii) making repairs, and (iii) showing the Premises to prospective purchasers or lenders and, during the last year of the Term, to prospective tenants. Tenant shall at all times, except in the case of emergencies, have the right to appoint an employee or other representative to escort Landlord or its agents, representatives, contractors or guests while the same are in the Premises, provided such escort does not materially and adversely impair Landlord's access rights hereunder. Tenant may from time to time adopt commercially reasonable systems and procedures for the security, access and safety of the Premises (whether they be for purposes of confidentiality, guarding of trade secrets, health and safety, mitigation of contamination of scientific research or its results, or other business purposes), its occupants, entry, use and contents, and Landlord, its agents, employees, contractors, guests and invitees, shall comply with such systems and procedures in connection with any entry into the Premises provided that such systems and procedures shall not materially affect Landlord’s access and inspection rights hereunder. Landlord may erect a suitable sign on the Premises, during the last year of the Term, stating the Premises are available to let or that the Property is available for sale. Landlord may grant easements, make public dedications, designate Common Areas and create restrictions on or about the Property, provided that no such easement, dedication, designation or restriction materially, adversely affects Tenant's use or occupancy of the Premises for the Permitted Use. At Landlord's request, Tenant shall execute such instruments as may be necessary for such easements, dedications or restrictions.
33. Security. Tenant acknowledges and agrees that security devices and services, if any, while intended to deter crime may not in given instances prevent theft or other criminal acts and that Landlord is not providing any security services with respect to the Premises. Tenant agrees that Landlord shall not be liable to Tenant for, and Tenant waives any claim against Landlord with respect to, any loss by theft or any other damage suffered or incurred by Tenant in connection with any unauthorized entry into the Premises or any other breach of security with respect to the Premises, except to the extent arising from the negligence or misconduct of Landlord or a Landlord Party. Tenant shall be solely responsible for the personal safety of Tenant's officers, employees, agents, contractors, guests and invitees while any such person is in, on or about the Premises and/or the Property. Tenant may at Tenant's cost obtain insurance coverage to the extent Tenant desires protection against such criminal acts.
| 42 |
34. Force Majeure. Landlord shall not be responsible or liable for delays in the performance of its obligations hereunder when caused by, related to, or arising out of acts of God, sinkholes or subsidence, strikes, lockouts, or other labor disputes, embargoes, quarantines, weather, national, regional, or local disasters, catastrophes, or catastrophes, inability to obtain labor or materials (or reasonable substitutes therefore) at reasonable costs or failure of, or inability to obtain, utilities necessary for performance, governmental restrictions, orders, limitations, regulations, or controls, national emergencies, delay in issuance or revocation of permits, enemy or hostile governmental action, terrorism, insurrection, riots, civil disturbance or commotion, fire or other casualty, and other causes or events beyond the reasonable control of Landlord ("Force Majeure").
35. Brokers. Landlord and Tenant each represents and warrants that Kelleher & Sadowsky Associates, Inc. and Cranberry Hill Associates, Inc. (collectively, the “Broker”), it has not dealt with any broker, agent or other person in connection with this transaction and that no parties other than Broker brought about this transaction. Landlord and Tenant each hereby agree to indemnify and hold the other harmless from and against any claims by any broker, other than the Broker, if any named in this Section 35, claiming a commission or other form of compensation by virtue of having dealt with Tenant or Landlord, as applicable, with regard to this leasing transaction. In the event that a transaction is consummated, the Landlord shall be responsible for the payment of all brokerage fees to Broker as per a separate agreement.
36. Limitation on Landlord's Liability. NOTWITHSTANDING ANYTHING SET FORTH HEREIN OR IN ANY OTHER AGREEMENT BETWEEN LANDLORD AND TENANT TO THE CONTRARY: (A) EXCEPT TO THE EXTENT OF DAMAGE FROM NEGLIGENCE OR MISCONDUCT OF LANDLORD OR A LANDLORD PARTY, LANDLORD SHALL NOT BE LIABLE TO TENANT OR ANY OTHER PERSON FOR (AND TENANT ASSUMES ALL RISK OF) LOSS, DAMAGE OR INJURY, WHETHER ACTUAL OR CONSEQUENTIAL TO: TENANT’S OR ANY OTHER PARTY’S PERSONAL PROPERTY OF EVERY KIND AND DESCRIPTION, INCLUDING, WITHOUT LIMITATION TRADE FIXTURES, EQUIPMENT, INVENTORY, SCIENTIFIC RESEARCH, SCIENTIFIC EXPERIMENTS, LABORATORY ANIMALS, PRODUCT, SPECIMENS, SAMPLES, AND/OR SCIENTIFIC, BUSINESS, ACCOUNTING AND OTHER RECORDS OF EVERY KIND AND DESCRIPTION KEPT AT THE PREMISES AND ANY AND ALL INCOME DERIVED OR DERIVABLE THEREFROM; (B) THERE SHALL BE NO PERSONAL RECOURSE TO LANDLORD FOR ANY ACT OR OCCURRENCE IN, ON OR ABOUT THE PREMISES OR ARISING IN ANY WAY UNDER THIS LEASE OR ANY OTHER AGREEMENT BETWEEN LANDLORD AND TENANT WITH RESPECT TO THE SUBJECT MATTER HEREOF; ANY LIABILITY OF LANDLORD HEREUNDER SHALL BE STRICTLY LIMITED SOLELY TO (i) LANDLORD'S INTEREST IN THE PROPERTY OR ANY PROCEEDS FROM SALE OR CONDEMNATION THEREOF AND (ii) ANY INSURANCE PROCEEDS PAYABLE IN RESPECT OF LANDLORD'S INTEREST IN THE PROPERTY OR IN CONNECTION WITH ANY SUCH LOSS; AND (C) IN NO EVENT SHALL ANY PERSONAL LIABILITY BE ASSERTED AGAINST LANDLORD IN CONNECTION WITH THIS LEASE NOR SHALL ANY RECOURSE BE HAD TO ANY OTHER PROPERTY OR ASSETS OF LANDLORD OR ANY OF LANDLORD'S OFFICERS, DIRECTORS, EMPLOYEES, AGENTS OR CONTRACTORS. UNDER NO CIRCUMSTANCES SHALL LANDLORD OR ANY OF LANDLORD'S OFFICERS, DIRECTORS, EMPLOYEES, AGENTS OR CONTRACTORS BE LIABLE FOR INJURY TO TENANT’S BUSINESS OR FOR ANY LOSS OF INCOME OR PROFIT THEREFROM.
| 43 |
37. Severability. If any clause or provision of this Lease is illegal, invalid or unenforceable under present or future laws, then and in that event, it is the intention of the parties hereto that the remainder of this Lease shall not be affected thereby. It is also the intention of the parties to this Lease that in lieu of each clause or provision of this Lease that is illegal, invalid or unenforceable, there be added, as a part of this Lease, a clause or provision as similar in effect to such illegal, invalid or unenforceable clause or provision as shall be legal, valid and enforceable.
38. Signs; Exterior Appearance. Tenant shall not, without the prior written consent of Landlord, which may be granted or withheld in Landlord's sole discretion: (i) attach any awnings, exterior lights, decorations, balloons, flags, pennants, banners, painting or other projection to any outside wall of the Property, (ii) use any curtains, blinds, shades or screens other than Landlord's standard window coverings, (iii) coat or otherwise sunscreen the interior or exterior of any windows, (iv) place any bottles, parcels, or other articles on the window sills, (v) place any equipment, furniture or other items of personal property on any exterior balcony, or (vi) paint, affix or exhibit on any part of the Premises or the Property any signs, notices, window or door lettering, placards, decorations, or advertising media of any type which can be viewed from the exterior of the Premises. Interior signs on doors and the directory tablet shall be inscribed, painted or affixed for Tenant by Landlord at the sole cost and expense of Tenant, and shall be of a size, color and type acceptable to Landlord. Nothing may be placed on the exterior of corridor walls or corridor doors other than Landlord's standard lettering. The directory tablet shall be provided exclusively for the display of the name and location of tenants.
39. Intentionally Omitted.
40. Miscellaneous.
(a) Notices. All notices or other communications between the parties shall be in writing and shall be deemed duly given upon delivery or refusal to accept delivery by the addressee thereof if delivered in person, or upon actual receipt if delivered by reputable overnight guaranty courier, addressed and sent to the parties at their addresses set forth above. Landlord and Tenant may from time to time by written notice to the other designate another address for receipt of future notices.
(b) Joint and Several Liability. If and when included within the term "Tenant," as used in this instrument, there is more than one person or entity, each shall be jointly and severally liable for the obligations of Tenant.
(c) Financial Information. As of the Commencement Date, Tenant is subject to the public reporting requirements of the Securities Exchange Act of 1934, and publically reports such financial information on a nonconsolidated basis with any other entity, but in the event Tenant ceases to be subject to the public reporting requirements of the Securities Exchange Act of 1934 or publically reports financial information on a consolidated or rolled up basis with ny entity other than a wholly owned subsidiary of Tenant, the following terms of this Section 40(c) shall apply, and only in such event. Subject to the terms of the preceding sentence, Tenant shall furnish Landlord with true and complete copies of (i) Tenant's most recent audited annual financial statements within 90 days of the end of each of Tenant's fiscal years during the Term, (ii) Tenant's most recent unaudited quarterly financial statements within 45 days of the end of each of Tenant's first three fiscal quarters of each of Tenant's fiscal years during the Term, (iii) at Landlord's request from time to time, updated business plans, including cash flow projections and/or pro forma balance sheets and income statements, all of which shall be treated by Landlord as confidential information belonging to Tenant, (iv) at Landlord's request from time to time corporate brochures and/or profiles prepared by Tenant for prospective investors, and (v) any other financial information or summaries that Tenant typically provides to its lenders or shareholders.
| 44 |
(d) Recordation. This Lease shall not be recorded, but upon request of either party a memorandum of lease shall be executed by the parties and may be recorded at Tenant’s expense in the appropriate public registry.
(e) Interpretation. The normal rule of construction to the effect that any ambiguities are to be resolved against the drafting party shall not be employed in the interpretation of this Lease or any exhibits or amendments hereto. Words of any gender used in this Lease shall be held and construed to include any other gender, and words in the singular number shall be held to include the plural, unless the context otherwise requires. The captions inserted in this Lease are for convenience only and in no way define, limit or otherwise describe the scope or intent of this Lease, or any provision hereof, or in any way affect the interpretation of this Lease.
(f) Not Binding Until Executed. The submission by Landlord to Tenant of this Lease shall have no binding force or effect, shall not constitute an option for the leasing of the Premises, nor confer any right or impose any obligations upon either party until the “Effective Date” (as defined on the signature page hereof).
(g) Limitations on Interest. It is expressly the intent of Landlord and Tenant at all times to comply with applicable law governing the maximum rate or amount of any interest payable on or in connection with this Lease. If applicable law is ever judicially interpreted so as to render usurious any interest called for under this Lease, or contracted for, charged, taken, reserved, or received with respect to this Lease, then it is Landlord's and Tenant's express intent that all excess amounts theretofore collected by Landlord be credited on the applicable obligation (or, if the obligation has been or would thereby be paid in full, refunded to Tenant), and the provisions of this Lease immediately shall be deemed reformed and the amounts thereafter collectible hereunder reduced, without the necessity of the execution of any new document, so as to comply with the applicable law, but so as to permit the recovery of the fullest amount otherwise called for hereunder.
(h) Choice of Law. Construction and interpretation of this Lease shall be governed by the internal laws of the state in which the Premises are located, excluding any principles of conflicts of laws.
(i) Time. Time is of the essence as to the performance of each party’s obligations under this Lease.
| 45 |
(j) OFAC. Tenant, for itself and for and all beneficial owners of Tenant, and Landlord, for itself and for all beneficial owners of Landlord, each represents and warrants that they currently (a) in compliance with and shall at all times during the Term of this Lease remain in compliance with the regulations of the Office of Foreign Assets Control ("OFAC") of the U.S. Department of Treasury and any statute, executive order, or regulation relating thereto (collectively, the "OFAC Rules"), (b) not listed on, and shall not during the term of this Lease be listed on, the Specially Designated Nationals and Blocked Persons List maintained by OFAC and/or on any other similar list maintained by OFAC or other governmental authority pursuant to any authorizing statute, executive order, or regulation, and (c) not a person or entity with whom a U.S. person is prohibited from conducting business under the OFAC Rules.
(k) Incorporation by Reference. All exhibits and addenda attached hereto are hereby incorporated into this Lease and made a part hereof. If there is any conflict between such exhibits or addenda and the terms of this Lease, such exhibits or addenda shall control.
(l) Entire Agreement. This Lease, including the exhibits attached hereto, constitutes the entire agreement between Landlord and Tenant pertaining to the subject matter hereof and supersedes all prior and contemporaneous agreements, understandings, letters of intent, negotiations and discussions, whether oral or written, of the parties, and there are no warranties, representations or other agreements, express or implied, made to either party by the other party in connection with the subject matter hereof except as specifically set forth herein.
(m) No Accord and Satisfaction. No payment by Tenant or receipt by Landlord of a lesser amount than the monthly installment of Base Rent or any Additional Rent will be other than on account of the earliest stipulated Base Rent and Additional Rent, nor will any endorsement or statement on any check or letter accompanying a check for payment of any Base Rent or Additional Rent be an accord and satisfaction. Landlord may accept such check or payment without prejudice to Landlord's right to recover the balance of such Rent or to pursue any other remedy provided in this Lease.
(n) Medical School Facilities. Tenant, together with its employees, will have access to the following University of Massachusetts Medical School facilities and resources: the library (including any computers available for use in the library including use of any online databases subscribed to from time to time by the library for use on such in-library computers), fitness center, cafeteria and certain research cores as identified by the University from time-to-time. Such access shall be subject to any rules and regulations of the University of Massachusetts Medical School in effect from time to time, limits on hours, closure for whatever reason, and fees for use of the fitness center and cafeteria. Any such facilities and resources may be terminated, modified, moved or limited in the sole discretion of the University of Massachusetts Medical School. Access may be limited or prohibited at any times for any purposes including, but not limited to repairs, reserved functions, meetings, or any other purpose.
(o) Hazardous Activities. Notwithstanding any other provision of this Lease, Landlord, for itself and its employees, agents and contractors, reserves the right to refuse to perform any repairs or services in any portion of the Premises which, pursuant to Tenant's routine safety guidelines, practices or custom or prudent industry practices, require any form of protective clothing or equipment other than safety glasses. In any such case, Tenant shall contract with parties who are acceptable to Landlord, in Landlord's reasonable discretion, for all such repairs and services, and Landlord shall, to the extent required, equitably adjust Tenant's Share of Operating Expenses in respect of such repairs or services to reflect that Landlord is not providing such repairs or services to Tenant.
| 46 |
(p) Public Reporting Status. As of the Commencement Date, Tenant is subject to the public reporting requirements of the Securities Exchange Act of 1934. Landlord acknowledges that this Lease, or material terms of this Lease may need to be disclosed by Tenant for purposes of compliance with applicable laws.
(q) Publicity. The content of any public announcement, press release or similar statement or publicity concerning the entering into of this Lease must be pre-approved in writing by both Landlord and Tenant, which approval shall not be unreasonably withheld, conditioned or delayed. Each of Landlord and Tenant will advise the Broker of the requirements of this paragraph.
[Signatures on next page]
| 47 |
IN WITNESS WHEREOF, Landlord and Tenant have executed this Lease as of the day and year first above written.
| TENANT: | ||
| MUSTANG BIO, INC. | ||
| By: | ||
| Its: | ||
| LANDLORD: | ||
| WCS - 377 PLANTATION STREET, INC. | ||
| By: | ||
| Its: | ||
| 48 |
EXHIBIT A TO LEASE
DESCRIPTION OF PREMISES

| A-1 |
EXHIBIT B TO LEASE
DESCRIPTION OF PROPERTY
The land and the building thereon in Worcester, Worcester County, Massachusetts, on the westerly side of the easement taking of Plantation Street shown as Parcel 10A on a Plan by Cullinan Engineering Co., Inc. entitled "Plan . of Property Owned by Worcester Business Development Corporation of Parcels 10A, 10B, 10C, Plantation Street, Worcester, Massachusetts," dated December 16, 1992, and recorded in the Worcester District Registry of Deeds ("Registry") in Plan Book 670, Plan 70, (the "Plan") containing 4.2929 acres, more or less, bounded and described as follows:
Beginning at a point on the westerly side of the easement taking of Plantation Street at the most easterly corner of Parcel 10A; said point also being the most Southerly corner of Parcel IOC as shown on the Plan;
| THENCE | South 23 degrees 14' 23" West by the westerly side of such easement taking of Plantation Street, a distance of three hundred and thirty-nine and thirteen hundredths (339.13) feet to a point at land now or formerly of University of Massachusetts Foundation, Inc.; |
| THENCE | by land now or formerly of University of Massachusetts Foundation, Inc. the following three (3) courses: North 65 degrees 28' 00" West, a distance of sixty and six hundredths (60.06) feet to a point of curvature; In a westerly direction by a curve to the left having a radius of five hundred and four and fifty hundredths (504.50) feet, an arc distance of one hundred and forty and eighty-two hundredths (140.82) feet to a point of tangency; |
| THENCE | North 81 degrees 27' 35" West, a distance of one hundred eighty-three and ninety-five hundredths (183.95) feet to a point; |
| THENCE | North 07 degrees 38' 48" West, along other land now or formerly of Worcester Business Development Corporation a distance of sixty and ninety-two hundredths (60.92) feet to a point; |
| THENCE | North 07 degrees 38' 50" West along land now or formerly of the Commonwealth of Massachusetts (Department of Mental Health), a distance of one hundred fifty (150.00) feet to a point; |
| THENCE | North 15 degrees 38' 45" West continuing along land now or formerly of Commonwealth of Massachusetts (Department of Mental Health), a distance of two hundred and seventy-seven and one hundred eighty-five thousandths (277.185) feet to a point at 10C as shown on the Plan; |
| B-1 |
| THENCE | South 67 degrees 06' 49" East along other land of Worcester Business Development Corporation, a distance of six hundred and fifty-nine and sixty-seven hundredths (659.67) feet to the point of beginning. |
Together with that portion of the parcel shown on the plan as "City of Worcester - Permanent Roadway Easement Taking December 1991" which adjoins Parcel 10A, (said parcel and Parcel 10A being hereinafter together referred to as the "Premises") bounded and described as follows,
BEGINNING at the Northerly line of Parcel 10A and the Southerly line of Parcel IOC as shown on the Plan;
| THENCE | North 23 degrees 14' 23" East forty-six and eighty-two hundredths (46.82) feet; |
| THENCE | by a curve having a radius of two thousand five hundred and seventeen and sixty hundredths (2517.60) feet, a -distance of two hundred thirty-eight and ninety hundredths (238.90) feet; |
| THENCE | by said curve a distance of twenty (20.00) feet; |
| THENCE | South 71 degrees 47' 26" East eighty-one and seventy-six hundredths (81.76) feet; |
| THENCE | South 19 degrees 17' 00" West two hundred and fifty (250.00) feet; |
| THENCE | South 30 degrees 53' 30" West three hundred and twenty-two and eighty-four hundredths (322.84) feet; |
| THENCE | South 24 degrees 32' 00" West eighty-three and fourteen hundredths (83.14) feet; |
| THENCE | North 65 degrees 28' 00" West forty and fifty-four hundredths (40.54) feet; |
| THENCE | North 23 degrees 14' 23" East three hundred and thirty-nine and thirteen hundredths (339.13) feet to the point of beginning. |
Excepting therefrom the premises described in a Deed to Worcester Business Development Corporation dated February 26. 1999 recorded in Book 21120, Page 120.
| B-2 |
EXHIBIT C TO LEASE
ACKNOWLEDGMENT OF COMMENCEMENT DATE
This ACKNOWLEDGMENT OF COMMENCEMENT DATE is made this _____ day of _____________, ____, between _________________________________, a _________________ limited liability company ("Landlord"), and ______________________, a ______________ limited liability company ("Tenant"), and is attached to and made a part of the Lease dated _______________, 2017 (the "Lease"), by and between Landlord and Tenant. Any initially capitalized terms used but not defined herein shall have the meanings given them in the Lease.
Landlord and Tenant hereby acknowledge and agree, for all purposes of the Lease, that the Commencement Date of the Base Term of the Lease is __________, _____, the Rent Commencement Date is _________________, 20___, and the termination date of the Base Term of the Lease shall be midnight on _____________, 20___. {After Schedule B Occupancy Date: The Schedule B Occupancy Date was: _____________.} In case of a conflict between the terms of the Lease and the terms of this Acknowledgment of Commencement Date, this Acknowledgment of Commencement Date shall control for all purposes.
IN WITNESS WHEREOF, Landlord and Tenant have executed this ACKNOWLEDGMENT OF COMMENCEMENT DATE to be effective on the date first above written.
| TENANT: | ||
| _______________________________, | ||
| a _____________ limited liability company | ||
| By: | ||
| Its: | ||
| LANDLORD: | ||
| ________________________________, | ||
| a ____________ limited liability company | ||
| C-1 |
EXHIBIT D TO LEASE
RULES AND REGULATIONS
1. No sign, placard, picture, advertisement, name or notice shall be installed or displayed in any part of the outside or inside of the Property if visible from a public area without prior written consent of the Landlord. Landlord shall have the right to remove, at Tenant’s expense and without notice, and sign installed or displayed in violation of this rule. All approved signs or lettering in public corridors shall be inscribed or affixed at the expense of the Tenant by a person or vendor chosen by Landlord and in conformance with the Property standard signage program. In addition, Landlord reserves the right to change from time to time the format of the signs or lettering and to require previously approved signs or lettering to be appropriately altered.
2. Tenant shall not obstruct any sidewalks, halls, passages, exits, entrances, elevators, escalators or stairways to the Property. The halls, passages, exits, entrances, elevators, escalators and stairways are not for the general public, and Landlord shall in all cases retain the right to control and prevent access thereto of all persons whose presence in the judgment of the Landlord would be prejudicial to the safety, character, reputation and interest of the Property and its tenants. However, nothing herein contained shall be construed to prevent such access to persons with whom any tenant normally deals in the ordinary course of its business, unless such persons are engaged in illegal activities. No tenant and no employee or invitee of any tenant shall go upon the roof the Property.
3. Tenant shall not place any objects, including antennas, outdoor furniture, etc., in the parking areas, landscaped areas or other areas outside of its Premises.
4. Tenant shall not install any radio or television antenna, loudspeaker or other device on the roof or exterior walls of the Property. Tenant shall not interfere with radio or television broadcasting or reception from or in the Property elsewhere.
5. The directory of the Property will be provided exclusively for the display of the name and location of tenants only and Landlord reserves the right to exclude any other names therefrom. No more than one entries on the directory located in the Property lobby designating Tenant shall be installed.
6. Except as specifically set forth in the Lease, all cleaning services for the Premises shall be arranged exclusively through the Landlord. Tenant shall not cause any unnecessary labor or service by carelessness or indifference to the good order and cleanliness of the Premises, however occurring.
7. Landlord will furnish Tenant free of charge with an appropriate number of electronic access cards and parking passes. Tenant shall pay a Ten Dollar ($10) replacement charge for the replacement of any lost access card or parking pass. Landlord may make a reasonable charge for any keys. Tenant shall not make or have made additional keys, and Tenant shall not alter any lock or install a new or additional locks or bolts on any door of its Premises. Tenant upon termination of its tenancy, shall delivery to Landlord the keys of all doors which have been furnished to Tenant, and in the event of loss of any keys so furnished, shall pay Landlord therefor.
8. Except for animals assisting the disabled, no animals shall be allowed in the offices, halls, or corridors in the Property.
9. Tenant shall not disturb the occupants of the Property or adjoining buildings by the use of any radio or musical instrument or by the making of loud or improper noises.
| D-1 |
10. If Tenant desires telegraphic, telephonic or other electric connections in the Premises, Landlord or its agent will direct the electrician as to where and how the wires may be introduced; and, without such direction, no boring or cutting of wires will be permitted. Any such installation or connection shall be made at Tenant's expense.
11. Tenant shall not install or operate any steam or gas engine or boiler, or other mechanical apparatus in the Premises, except as specifically approved in the Lease. The use of oil, gas or inflammable liquids for heating, lighting or any other purpose is expressly prohibited. Explosives or other articles deemed extra hazardous shall not be brought into the Property.
12. Parking any type of recreational vehicles is specifically prohibited on or about the Property. Except for the overnight parking of operative vehicles, no vehicle of any type shall be stored in the parking areas at any time. In the event that a vehicle is disabled, it shall be removed within 48 hours. There shall be no "For Sale" or other advertising signs on or about any parked vehicle. All vehicles shall be parked in the designated parking areas in conformity with all signs and other markings. All parking will be open parking, and no reserved parking, numbering or lettering of individual spaces will be permitted except as specified by Landlord.
13. Tenant shall maintain the Premises free from rodents, insects and other pests.
14. Tenant shall not use any method of heating or air conditioning such as space heaters or fans other than supplied by Landlord. Tenant shall not waste electricity, water or air conditioning. Tenant shall keep corridor doors closed.
15. Tenant shall close and lock the doors of its Premises and entirely shut all water faucets or other water apparatus before Tenant and its employees leave the Premises. Tenant shall be responsible for any damage or injuries sustained by other tenants or occupants of the Property or by Landlord for noncompliance with this rule.
16. Landlord reserves the right to exclude or expel from the Property any person who, in the judgment of Landlord, is intoxicated or under the influence of liquor or drugs or who shall in any manner do any act in violation of the Rules and Regulations of the Property.
17. Tenant shall not cause any unnecessary labor by reason of Tenant's carelessness or indifference in the preservation of good order and cleanliness. Landlord shall not be responsible to Tenant for any loss of property on the Premises, however occurring, or for any damage done to the effects of Tenant by the janitors or any other employee or person.
18. Tenant shall give Landlord prompt notice of any defects in the water, lawn sprinkler, sewage, gas pipes, electrical lights and fixtures, heating apparatus, or any other service equipment affecting the Premises.
19. Tenant shall not permit storage outside the Premises, including without limitation, outside storage of trucks and other vehicles, or dumping of waste or refuse or permit any harmful materials to be placed in any drainage system or sanitary system in or about the Premises. The toilet rooms, toilets, urinals, wash bowls and other apparatus shall not be used for any purpose other than that for which they were constructed. No foreign substance of any kind whatsoever shall be thrown therein, and the expense of any breakage, stoppage or damage resulting from the violation of this rule shall be borne by Tenant who, or whose employees or invitees shall have caused it.
20. All moveable trash receptacles provided by the trash disposal firm for the Premises must be kept in the trash enclosure areas, if any, provided for that purpose. Tenant shall store all its trash and garbage within its Premises. Tenant shall not place in any trash box or receptacle any material which cannot be disposed of in the ordinary and customary manner of trash or garbage disposal. All garbage and refuse disposal shall be made in accordance with direction issues from time to time by Landlord.
| D-2 |
21. No auction, public or private, will be permitted on the Premises or the Property.
22. No awnings shall be placed over the windows in the Premises except with the prior written consent of Landlord.
23. Tenant shall use and keep in place the Property standard window covering. Tenant shall not place anything or allow anything to be placed against or near any doors or windows which may appear unsightly, in the opinion of the Landlord, from outside of the Premises.
24. The Premises shall not be used for lodging, sleeping or cooking or for any immoral or illegal purposes or for any purpose other than that specified in the Lease. No gaming devices shall be operated in the Premises.
25. No cooking shall be done or permitted by any Tenant in the Premises, except that use of Underwriters’ Laboratory approved equipment for brewing coffee, tea, hot chocolate and similar beverages shall be permitted, provided that such equipment and is in accordance with all applicable federal, state and city laws, codes, ordinances, rules and regulations.
26. Except as approved by Landlord, Tenant shall to mark, drive nails, screw or drill into partitions, woodwork or plaster or in any way deface the Premises. Tenant shall not curt or bore holes for wires. Tenant shall not affix any floor covering to the floor of the Premises in any manner except as approved by Landlord. Tenant shall repair any damage resulting from noncompliance with this rule.
27. Tenant shall ascertain from Landlord the maximum amount of electrical current which can safely be used in the Premises, taking into account the capacity of the electrical wiring in the Property and the Premises and the needs of other tenants, and shall not use more than such safe capacity. Landlord's consent to the installation of electric equipment shall not relieve Tenant from the obligation not to use more electricity than such safe capacity.
28. Tenant assumes full responsibility for protecting the Premises from theft, robbery and pilferage.
29. Tenant shall pay on demand the cost of replacement of any glass doors broken in or on the perimeter of the Premises during the continuance of the Lease if same is broken as a result of tenant, its employees or agents negligence, unless the glass shall be broken by Landlord its employees or agents.
30. Tenant shall not install, maintain or operate upon the Premises any vending machines or video game machines.
31. Landlord may waive any one or more of these Rules and Regulations for the benefit of any particular tenant or tenants, but no such waiver by Landlord shall be construed as a waiver of such Rules and Regulations in favor of any other tenant or tenants, nor prevent Landlord from thereafter enforcing any such Rules and Regulations.
32. Canvasing, soliciting and peddling in or about the Property is expressly prohibited.
33. For the benefit of all tenants, Landlord shall have the right to reasonably limit freight elevator use during peak use hours.
34. Tenant shall not install or operate on the Premises any machinery or mechanical devices of a nature not directly related to Tenant's ordinary use of the Premises and shall keep all such machinery free of vibration, noise and air waves which may be transmitted beyond the Premises.
| D-3 |
35. The Rules and Regulations are in addition to, and shall not be construed to in any way modify or amend, in whole or in part, the terms, covenants, agreements and conditions of any lease of any premises on the Property. Landlord shall have the right to amend these Rules and Regulations at any time during the term hereof, with notice.
36. Smoking and the use of tobacco is not permitted in the Building, at the Property, or on the grounds of Biotech Park and the University of Massachusetts Medical School.
| D-4 |
EXHIBIT E
TENANT’S PERSONAL PROPERTY (REMOVABLE INSTALLATIONS)
To-be-installed generator, if installed pursuant to Section 7(c)(vii).
| E-1 |
EXHIBIT F
TENANT’S SURRENDER PLAN
Tenant Surrender Plan
Name of Tenant
Addressed of Leased Space
Prepared for:
Owner
Address
Prepared by:
TENANT NAME
CITY, STATE
Date:
Month Year
| F-1 |
Contents
| Page | ||
| 1.0 | Introduction | F-3 |
| 1.1 | General Site Information | F-3 |
| 1.2 | Chemical, Biological, and Radioactive Agents | F-3 |
| 1.2.1 | Chemical Agents | F-4 |
| 1.2.2 | Biological Agents | F-4 |
| 1.2.3 | Radiological Agents | F-4 |
| 2.0 | Equipment | F-5 |
| 2.1 | Equipment Inventory | F-5 |
| 2.2 | Disposition of Equipment | F-5 |
| 3.0 | Waste Management and Wastewater Discharges | |
| 3.1 | Hazardous Waste | |
| 3.2 | Biological Waste | |
| 3.3 | Radiological Waste | |
| 3.4 | Wastewater Discharges | |
| 4.0 | Decontamination Procedures | |
| 4.1 | Equipment | |
| 4.2 | Disposition of Equipment | |
| 4.2.1 | Chemical Use Areas | |
| 4.2.2 | Biological Agent Use Areas | |
| 4.2.3 | Radiological Agent Use Areas | |
| 4.3 | Final Waste Shipments | |
| 5.0 | Permits | |
| 6.0 | Spills |
List of Appendices
Appendix A
| F-2 |
1.0 Introduction
The purpose of this Surrender Plan is to provide detailed information regarding decommissioning procedures followed by a tenant at the conclusion of its tenancy at the leased space (“the Premises”). This Surrender Plan will be used by Owner to evaluate, from a health and safety standpoint, whether the space will be suitable for re-occupancy by a biotechnology tenant. This Surrender Plan includes information regarding the tenant’s operations, types of hazardous materials used, waste management practices, decontamination procedures, and permit closure/transfer documentation.
1.1 General Tenant Information
| Name of tenant | ||
| Address of leased space (include Suite numbers) | ||
| Length of time at leased space | ||
| Approximate square footage of leased space | Office space: | |
| Lab space: | ||
| Total: | ||
| Tenant contact (for follow-up questions regarding Surrender Plan) | Name | |
| Title | ||
| Years with company | ||
| Telephone number | ||
| E-mail address | ||
| Lease end date | ||
| Scheduled date for vacating leased space | ||
| Location company is moving to | ||
| Site plan included? | No Yes, see Appendix ____ | |
| General description of operations (include Biosafety level(s) of laboratory spaces, the nature of the company’s business, and types of activities conducted on-site) | ||
1.2 Chemical, Biological, and Radioactive Agents
This section provides information regarding chemical, biological (including vivariums), radiological agents (collectively "Agents") used on the Premises.
| F-3 |
1.2.1 Chemical Agents
Identify all chemicals used at the property, including name, quantity(ies) used, maximum volume of storage containers, etc., OR refer to a chemical inventory to be included in an Appendix to this Plan.
1.2.2 Biological Agents
Identify all biological agents used at the property, including name, quantity(ies) used, maximum volume of storage containers, etc., OR refer to a biological agent inventory to be included in an Appendix to this Plan.
1.2.3 Radiological Agents
Identify all radiological materials used at the property, including name, quantity(ies) used, maximum volume of storage containers, etc., OR refer to a radiological material inventory to be included in an Appendix to this Plan.
| F-4 |
2.0 Equipment
The section describes the equipment used by the tenant, and identifies which equipment will be moved off-site and which equipment will remain on the Premises.
2.1 Equipment Inventory
Please provide an inventory of equipment, instruments, and laboratory apparatus (collectively "Equipment").
2.2 Disposition of Equipment
Describe Equipment to be removed from the Premises, and Equipment to remain at the Premises. Equipment to remain at the Premises which is not the property of Owner.
| F-5 |
EXHIBIT G
PLAN SHOWING RESERVED PARKING
| G-1 |

| G-2 |
EXHIBIT H
WORK LETTER WITH RESPECT TO
TENANT’S WORK
Landlord and Tenant agree as follows with respect to the improvements to be installed in the Premises:
1. Landlord’s Work.
A. Landlord, at Landlord’s sole cost and expense, shall put the Premises into base building condition as set forth in Schedule 1 attached hereto and hereby made a part hereof (“Landlord’s Work”) on or before on or before the Commencement Date provided that that portion of Landlord’s Work described as the Concurrent Work on Schedule 1 (collectively, the “Concurrent Work”) is to be performed by Landlord concurrently with the performance of the Tenant’s Work (as such term is hereinafter defined) in a timely manner so as not to delay completion of the Tenant’s Work.
2. Tenant’s Work.
A. Tenant’s Work. Tenant shall provide the construction material, hardware and equipment and the labor to construct and install the improvements to the Premises described in the Plans (as that term is hereinafter described). The material, hardware, equipment and labor as incorporated into the Premises pursuant to the Plans are herein collectively referred to as the “Tenant’s Work”. Subject to the provisions of this Exhibit F (the “Work Letter”), Tenant shall proceed diligently to cause the Tenant’s Work approved by Landlord to be completed in accordance with the terms and conditions of the Lease and this Work Letter.
B. Plans. Tenant agrees to cause its architect and engineer to prepare plans and specifications for Tenant’s Work (which shall include (i) furniture plans showing details of space occupancy; (ii) sprinkler locations; (iii) reflected ceiling plans; (iv) partition and door location plans; (v) electrical and telephone plans noting any special requirements; (vi) fire safety systems; (vii) detail plans; (viii) finish plans and schedules and also specifications for the Tenant’s Work to be performed in the Premises; (ix) mechanical and electrical, fire alarm, life safety, and plumbing drawings for the Premises and deliver said drawings to Landlord. Landlord agrees to either approve or disapprove said architectural construction drawings in writing within ten (10) business days of receipt thereof by Landlord. Failure to approve or disapprove within such ten (10) business day period shall result in said drawings being deemed approved by Landlord. If Landlord disapproves of said drawings, Landlord agrees to advise Tenant in writing generally of the required changes. Tenant shall deliver to Landlord architectural construction drawings revised pursuant to Landlord’s comments within ten (10) business days of receipt of Landlord’s comments, after which Landlord shall have a period of two (2) business days to either approve or disapprove said drawings in writing, and if Landlord fails to give written notice of its approval or disapproval of the revisions within such two (2) business day period shall result in said revisions being deemed approved by Landlord. The revision procedure shall be repeated until Landlord approves the architectural construction drawings for the Premises. The plans and specifications described above are referred to as the “Plans”.
| H-1 |
C. No Representations by Landlord. Neither review nor approval by Landlord of any of the Plans shall constitute a representation or warranty by Landlord that such Plans either (i) are complete or suitable for their intended purpose or (ii) comply with applicable laws, ordinances, codes and regulations, it being expressly agreed by Tenant that Landlord assumes no responsibility or liability whatsoever to Tenant or to any other person or entity for such completeness, suitability or compliance.
3. Cost of Tenant’s Work.
A. General Contract. Prior to commencement of any portion of the Tenant’s Work, Tenant shall obtain a contract to perform the Tenant’s Work by bidding the Tenant’s Work to one (1) or more of those licensed general contractors approved by Landlord, which approval shall not be unreasonably withheld or delayed. Landlord confirms its approval of Hodess Construction Corporation (100 John L Dietsch Sq, North Attleboro, MA 02763, Ph: 508.695.1012), or any of its wholly owned subsidiaries as Contractor. Promptly after entering into a general contract for Tenant’s Work with its selected general contractor (the “Contractor”) Tenant agrees to promptly give Landlord a copy of the contract. The Contractor shall notify Landlord in advance of the identities of all subcontractors who will be performing work in the Premises. All such subcontractors shall be licensed. Tenant shall not be relieved of any of its obligations under this Work Letter by the fact that Landlord approved the Contractor or the fact that Landlord may have notice of subcontractors used by the Contractor.
B. Allowance. Landlord shall reimburse Tenant up to Thirty Dollars ($30.00) per square foot of Rentable Area in the Premises with respect to Section A (14,222 RSF) (the “Phase I Allowance”) and Forty Dollars ($40.00) per square foot of Rentable Area in the Premises with respect to Section B (12,821 RSF) (the “Phase II Allowance” and collectively with the Phase I Allowance, the “Allowance”) for hard (and as permitted below, soft) costs of the Tenant’s Work. Tenant shall pay all costs of the Tenant’s Work in excess of the Allowance. All amounts shall be paid by Tenant within thirty (30) days after Tenant’s receipt of invoices therefor. The Phase I Allowance shall be available to Tenant commencing on the Commencement Date and expiring on the expiration of the first Lease Year, up to Ten Dollars ($10.00) per square foot of the Phase II Allowance shall be available for demolition costs associated with preconstruction demolition of Section B, commencing on such demolition work with the remaining balance of the Phase II Allowance available to Tenant commencing on the Section B Occupancy Date and expiring one year thereafter. Tenant may use up to $3.00 per square foot of Rentable Area in the Premises of the Allowance not required to pay hard costs for non-hard cost items, including soft costs, cabling, telephone, furniture and moving.
C. Coordination Fee. Tenant shall pay a plan review, construction coordination and management, and overhead fee to Landlord in an amount equal to the lesser of (i) two percent (2%) of Landlord’s total Allowance contribution, or (ii) Landlord’s actual costs, to cover Landlord’s plan review, coordination, supervision and overhead and related expenses allocable to such work (the “Coordination Fee”). The Coordination Fee shall be deducted by Landlord from the Allowance, in an amount not to exceed two percent (2%) of the amount disbursed.
| H-2 |
D. Payment of Allowance. Landlord shall make payments of the Allowance only one time per month upon receipt of invoices, sworn statements, mechanics lien waivers as provided herein and such other documentation as Landlord may reasonably request. Landlord shall have no obligation to make any payment of the Allowance at any time that Tenant is in default hereunder or under the Lease.
E. [Intentionally deleted.]
F. Draw Requests. Tenant shall make draw requests based upon costs incurred for completed work as of the date of the draw request. Tenant shall present to Landlord a letter requesting a disbursement of funds, invoices (or paid receipts for each item paid by Tenant and for which Tenant is seeking reimbursement), a copy of any cancelled checks pursuant to which such invoice has been paid, and, with respect to any construction to any portion of the Premises, such lien waivers (for lienable items) required by the Landlord. The lien waiver from the general contractor and from each subcontractor and material supplier must be delivered with each draw request. Landlord shall have no obligation to make a payment until all waivers for the prior draw are submitted.
G. Payment of Draw Requests. Draw requests shall be submitted to Landlord no more often than monthly. Not later than five (5) business days after receipt of a draw request from Tenant, Landlord will review the applicable portion of Tenant’s Work and Tenant’s draw request and advise Tenant in writing of any respects in which the draw request is disapproved and the reason for such disapproval. Such advice need not comply with the notice provisions of the Lease. Draw requests shall be paid, subject to the foregoing approval procedure, not later than fifteen (15) business days after the draw request is received by Landlord. Landlord and Tenant agree to cooperate in attempting to resolve disapproved portions of each draw request.
H. [Intentionally deleted.]
4. Access By Tenant; Work in Harmony.
Landlord shall permit Tenant and Tenant’s agents, representatives, employees, suppliers, contractors, subcontractors, mechanics and workmen (i) to enter the Premises prior to the completion of the Landlord’s Work, and (ii) to access base building systems, including without limitation, chilled water, hot water, electrical and life-safety protection. Tenant agrees for itself and its agents, representatives, employees, suppliers, contractors, subcontractors, workmen, mechanics, and suppliers, that all such parties shall work in harmony and not unreasonably interfere with Landlord and Landlord’s agents, representatives, employees, suppliers, contractors, subcontractors, mechanics, and workmen in doing the Landlord’s Work in the Premises or work for other tenants and occupants of the Building.
| H-3 |
5. Construction Requirements.
A. Conditions of Entry. Tenant agrees that the entry into the Premises by Tenant and its contractors shall be deemed to be under all of the terms, covenants, conditions and provisions of the Lease except as to the covenant to pay Rent and Tenant further agrees that in connection therewith Landlord shall not be liable in any way for any injury, loss or damage which may occur to any of Tenant’s employees, agents or contractors, to Tenant’s Work or installations made in the Premises or to property placed therein prior to the Commencement Date and thereafter, the same being at Tenant’s sole risk. In addition, Tenant shall require all entities performing work on behalf of Tenant to provide protection for existing improvements to an extent that is satisfactory to Landlord and shall allow Landlord access to the Premises, for inspection purposes, at all times during the period when Tenant is undertaking construction activities therein. Tenant agrees to protect, indemnify, defend and hold Landlord and its agents, partners, contractors and employees harmless from and against any and all losses, damages, liabilities, claims, liens, costs and expenses, including reasonable attorneys’ fees, of whatever nature, including those to the Premises, the Building (including the Landlord’s Work), any other property of Landlord, or to the person and property of Tenant, its employees, agents, invitees, licensees and others arising out of or in connection with the activities of Tenant or any entity performing work on behalf of Tenant in or about the Premises or the Building. Further, Tenant shall cause such damage to be repaired at Tenant’s expense and if Tenant fails to cause such damage to be repaired promptly upon Landlord’s demand therefor, Landlord may in addition to any other rights or remedies available to Landlord under this Lease or at law or equity cause such damage to be repaired, in which event Tenant shall promptly upon Landlord’s demand pay to Landlord the cost of such repairs;
B. Ingress and Egress. All contractors and subcontractors shall use only those service corridors and service entrances designated by Landlord for ingress and egress of personnel, and the delivery and removal of equipment and material through or across any common areas of the Building shall only be permitted with the written approval of Landlord and during hours determined by Landlord. Landlord shall have the right to order Tenant or any contractor or subcontractor who repeatedly violates the above requirements to cease work in the Building and leave the Building and remove its equipment and its employees from the Building and, at Landlord’s option, restore any portion of the Building on which it has done work to its original condition;
C. Trash Removal. During the performance of Tenant’s Work and Tenant’s fixturing, Landlord may provide trash removal service from a location designated by Landlord. Tenant shall be responsible for breaking down boxes and placing trash in Landlord’s containers at such designated location. Tenant shall accumulate its trash in containers supplied by Landlord and Tenant shall not permit trash to accumulate within the Premises or in the corridors or public areas adjacent to the Premises. Tenant shall cause each entity employed by it to perform work on the Premises to abide by the provisions of this Work Letter as to the storage of trash and shall require each such entity to perform its work in a way that dust or dirt is contained entirely within the Premises and not within any other portion of the Building and shall cause Tenant’s contractors to leave the Premises in broom-clean condition at the end of each day. Should Landlord deem it necessary to remove Tenant’s trash because of accumulation, Tenant shall pay to Landlord an additional reasonable charge for such removal on a time and material basis. The cost to Tenant for Landlord removing such trash will be based on reasonable and competitive cost which Tenant could have secured independently had Landlord not provided such service;
| H-4 |
D. Performance of Work. Tenant agrees that all services and work performed on the Premises by, on behalf of, or for the account of Tenant, including installation of telephones, carpeting, materials and personal property delivered to the Premises shall be done in a first-class workmanlike manner using only good grades of material, in compliance with Legal Requirements including the ADA, and shall be performed only by persons covered by a collective bargaining agreement with the appropriate trade union. Tenant at Tenant’s cost shall secure all requisite permits and approvals for Tenant’s Work including, but not limited to, a Building Permit and a Certificate of Occupancy issued by the City of Worcester;
E. Insurance. Tenant shall provide, or shall cause Tenant’s General Contractor to provide, insurance which satisfy the requirements of Section 17 of this Lease, shall include (if permitted by the insurer) a waiver of subrogation in favor of Landlord, and shall insure Landlord and Tenant, as their respective interests may appear, and shall also provide insurance during the course of construction with respect to the following:
| 1. | Comprehensive General Liability Insurance. Comprehensive general liability insurance as required by Section 17 of this Lease shall be in an aggregate amount, which may include umbrellas, of not less than $3,000,000 (a portion of which coverage may be evidenced by an umbrella policy of liability insurance), and shall name Landlord as additional insured; |
| 2. | Worker’s Compensation Insurance. Worker’s compensation insurance, to the extent required by law; |
| 3. | Builders Risk Insurance. Special Purpose (formerly known as “All Risk”) Builders Risk Insurance on 100% of the cost of the Tenant Improvements, covering damage to such improvements; and |
| 4. | Automobile Liability Insurance. Automobile Liability coverage with bodily injury limits of at least $1,000,000.00 per accident and $500,000.00 per accident for property damage. |
F. Indemnification. EXCEPT TO THE EXTENT SUCH COSTS, LOSSES, LIABILITIES OR ACTIONS RESULT FROM LANDLORD’S NEGLIGENCE AND/OR WILLFUL MISCONDUCT, OR THE NEGLIGENCE OR WILLFUL MISCONDUCT OF LANDLORD’S EMPLOYEES, CONTRACTORS OR AGENTS, TENANT SHALL INDEMNIFY AND HOLD LANDLORD HARMLESS FROM AND AGAINST ALL COSTS (INCLUDING REASONABLE ATTORNEY’S FEES AND COSTS OF SUIT), LOSSES, LIABILITIES OR CAUSES OF ACTION ARISING OUT OF OR RELATING TO TENANT’S CONSTRUCTION OF THE TENANT’S WORK, INCLUDING, BUT NOT LIMITED TO, ANY MECHANIC’S OR MATERIALMEN’S LIENS ASSERTED IN CONNECTION THEREWITH.
6. Miscellaneous.
A. Except as expressly set forth herein, Landlord has no other agreement with Tenant and has no other obligation to do any other work or pay any amounts with respect to the Premises. Any other work in the Premises which may be permitted by Landlord pursuant to the terms and conditions of the Lease shall be done at Tenant’s sole cost and expense and in accordance with the terms and conditions of the Lease.
1. This Work Letter shall not be deemed applicable to any additional space added to the original Premises (i.e., both Section A and Section B of the Premises) at any time or from time to time, whether by any options under the Lease or otherwise, or to any portion of the original Premises or any additions thereto in the event of a renewal or extension of the initial term of the Lease, whether by any options under the Lease or otherwise, unless expressly so provided in the Lease or any amendment or supplement thereto.
| H-5 |
2. The failure by Tenant to pay any monies due Landlord pursuant to this Work Letter within the time period herein stated shall be deemed a Default under the terms of the Lease for which Landlord shall be entitled to exercise all remedies available to Landlord for nonpayment of Rent, following applicable notices and cure periods. All late payments of such monies shall bear interest and shall be subject to a late charge in the same manner as late payments of Rent pursuant to the Lease.
3. The indemnification and exculpatory provision set forth in Section 16 of the Lease as well as all other terms and provisions of the Lease, insofar as they are applicable to this Work Letter, are hereby incorporated herein by this reference.
4. Tenant shall be solely responsible to determine at the site all dimensions of the Premises and the Building which affect any work that may be performed by Tenant or any of Tenant’s contractors hereunder.
5. All of Tenant’s Work paid for by Landlord may be depreciated by Landlord.
| H-6 |
SCHEDULE 1
LANDLORD’S WORK
Landlord shall deliver the Premises with all base building systems, including but not limited to HVAC, electrical, life safety, plumbing systems (including DI water), in good working condition as of the Commencement Date.
Landlord, at Landlord’s sole cost and expense, shall provide Tenant with secured, keyed access to all laboratory and office space under lease by the Commencement Date.
The following is Concurrent Work: Tenant acknowledges that Landlord needs to modify the 1st floor Building egress in accordance with the revised egress plan delivered to Tenant and dated May 24, 2017. Although this work will not be completed prior to the Commencement Date, it will be completed promptly thereafter so as not to negatively impact Tenant’s construction or occupancy of the Premises.
| H-7 |
EXHIBIT I
HAZARDOUS MATERIALS LIST
| Material | Classification | Quantity (max) |
Storage | Comment |
| Human blood | BL2 | 6L | RT | No long-term storage |
| Primary human cells | BL2 | <1L | N2 | |
| Lentivirus | BL2 | <1L | -80C/N2 | Replication incompetent |
| Adeno associated virus (AAV) | BL2 | <1L | -80C/N2 | Replication incompetent |
| Retrovirus | BL2 | <1L | -80C/N2 | Replication incompetent |
| Ethanol | flammable | 1gal | RT | Stored in fire safe cabinet |
| Methanol | flammable | 1gal | RT | Stored in fire safe cabinet |
| Propanol | flammable | 1gal | RT | Stored in fire safe cabinet |
| Hydrocloric acid (HCL) | acid | 1L | RT | Stored in corrosion safe cabinet |
| NaOH | base | 1L | RT | Stored in corrosion safe cabinet |
| I-1 |